Rapport d'enquête ferroviaire R09V0219

Collision à un passage à niveau
du train de voyageurs 198 sud
exploité par VIA Rail Canada Inc.
au point milliaire 75,68 de la subdivision Victoria
à Nanaimo (Colombie-Britannique)

Le Bureau de la sécurité des transports du Canada (BST) a enquêté sur cet événement dans le but de promouvoir la sécurité des transports. Le Bureau n’est pas habilité à attribuer ni à déterminer les responsabilités civiles ou pénales. Le présent rapport n’est pas créé pour être utilisé dans le contexte d’une procédure judiciaire, disciplinaire ou autre. Voir Propriété et utilisation du contenu. Les pronoms et les titres de poste masculins peuvent être utilisés pour désigner tous les genres afin de respecter la Loi sur le Bureau canadien d’enquête sur les accidents de transport et de la sécurité des transports (L.C. 1989, ch. 3).

Table des matières

    Résumé

    Le 14 octobre 2009 à 15 h 14, heure avancée du Pacifique, le train de voyageurs 198 en direction sud de VIA Rail Canada Inc. a heurté un véhicule au passage à niveau de Dorman Road, situé au point milliaire 75,68 de la subdivision Victoria. Deux des occupants du véhicule ont été mortellement blessés et un troisième a subi des blessures graves et a été hospitalisé. Les membres de l'équipe et les voyageurs du train de voyageurs 198 de VIA Rail Canada Inc. n'ont pas été blessés.

    This report is also available in English.

    Autres renseignements de base

    L'accident

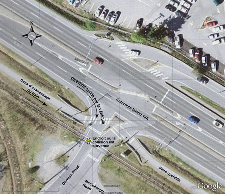
    Le 14 octobre 2009 vers 13 h 15Note de bas de page 1, le train de voyageurs 198 (le train) en direction sud de VIA Rail Canada Inc. (VIA) part de Courtenay (Colombie-Britannique), point milliaire 139,7 de la subdivision Victoria, à destination de Victoria (Colombie-Britannique), point milliaire 0,0 de la subdivision Victoria (voir la figure 1). Tandis que le train s'approche du passage à niveau de Dorman Road, point milliaire 75,68 de la subdivision Victoria, à Nanaimo (Colombie-Britannique), les feux et les cloches de signalisation du passage à niveau sont activés. Peu de temps après, un véhicule roulant en direction sud quitte l'autoroute Island 19A (l'autoroute) et s'engage sur Dorman Road en direction ouest. Le véhicule, une berline à traction avant de taille moyenne du début des années 1990, freine et s'arrête sur le passage à niveau. Le véhicule fait marche arrière sur une courte distance, puis repart en marche avant. C'est à ce moment qu'il est heurté par le train.

    Figure 1. Carte du lieu de l'accident
    Image
    Figure 1. Carte du lieu de l'accident

    Au moment de l'impact, le véhicule est projeté vers le sud sur une distance d'environ 150 pieds, après quoi il s'immobilise à l'ouest de la voie ferrée. Comme on a serré les freins d'urgence du train un peu avant que le train parvienne au passage à niveau de Dorman Road, le train s'immobilise à quelque 835 pieds au sud du passage à niveau. Deux des occupants du véhicule ont été mortellement blessés et un troisième a subi des blessures graves qui ont nécessité son hospitalisation. Les 2 membres de l'équipe et les 37 voyageurs du train n'ont pas été blessés. Le train a subi des dommages mineurs.

    Les vitres du véhicule étaient remontées au moment de la collision. Pendant un examen sur place, on a relevé une marque de pneu sur la surface caoutchoutée du passage à niveau, du côté extérieur du rail ouest. On a déterminé qu'il s'agissait d'une marque laissée par le pneu d'une des roues avant lorsque l'automobiliste a fait patiner les roues pour essayer de franchir le passage à niveau en marche avant. La marque mesurait environ deux pieds de longueur (voir la photo 1).

    Photo 1. Marques de pneu du côté ouest du passage à niveau
    Image
    Photo 1. Marques de pneu du côté ouest du passage à niveau

    Au moment de l'accident, la température était de 15°C, le ciel était couvert et la visibilité était bonne. Comme il avait plu peu de temps auparavant, la chaussée était encore humide.

    Analyse de l'accident faite par la GRC

    La GRC a procédé à une analyse de l'accident au passage à niveau. Aux fins de cette analyse, elle a examiné l'état du véhicule. Le rapport de la GRC précise que l'examen du véhicule a révélé qu'il était dans un état passable. Les freins avant étaient en bon état; toutefois, on a estimé que la capacité de freinage globale du véhicule était de l'ordre de 65 à 75 % étant donné que la capacité de freinage des freins arrière était réduite. Le rapport ajoute que, compte tenu de la vitesse à laquelle le véhicule devait rouler quand il a quitté l'autoroute Island 19A et s'est engagé sur Dorman Road, la capacité de freinage disponible du véhicule aurait dû être suffisante pour l'immobiliser. Le rapport n'indique pas que les freins ont été un des facteurs contributifs de l'accident. Le rapport de la GRC n'indique pas que l'état mécanique du véhicule a pu contribuer à l'accident. Au sujet des marques de pneu qu'on voit dans la photo 1, la GRC a indiqué dans son rapport qu'il s'agissait de marques de dérapage laissées pendant que le véhicule accidenté accélérait.

    Renseignements sur l'équipe et sur le train

    L'équipe du train comptait un mécanicien et un chef de train. Les membres de l'équipe répondaient aux exigences de leurs postes respectifs, se conformaient aux normes en vigueur en matière de repos et de condition physique, et connaissaient bien le territoire.

    Le train de voyageurs était un autorail diésel, no VIA 6135, qui pesait environ 120 000 livres et mesurait 85 pieds de longueur. Cet autorail avait un poste de commande à chaque bout. Le freinage était assuré par un système de freinage à air 26L qui fonctionnait en conjonction avec les freins à disque agissant sur chaque roue.

    Les dossiers d'inspection mécanique et de réparation indiquent que le VIA 6135 était en bon état de fonctionnement. Un essai de freins à air de catégorie « B » avait été effectué et documenté à Victoria au début du voyage aller-retour, conformément aux exigences.

    Renseignements consignés

    Les données du consignateur d'événements de locomotive ont été téléchargées et examinées. L'examen des données a révélé qu'on a actionné le sifflet alors que le train était à environ 1640 pieds du passage à niveau. À ce moment, le train circulait à environ 37 mi/h. Le sifflet a continué de se faire entendre par intermittence jusqu'au passage à niveau. Au moment de l'accident, soit 28 secondes après qu'on a commencé à actionner le sifflet, le train roulait à environ 45 mi/hNote de bas de page 2. On a serré les freins d'urgence juste avant que le train heurte le véhicule. Le phare avant et les feux de fossé du VIA 6135 étaient allumés à la puissance maximale.

    Subdivision Victoria

    En vertu d'un contrat, la Southern Railway of Vancouver Island Limited exploite la subdivision Victoria pour le compte de la Island Corridor Foundation depuis 2006. Le service voyageurs est assuré par VIA dans la subdivision Victoria. Bien que la subdivision Victoria relève de la British Columbia Safety Authority du point de vue de la réglementation, l'exploitation du service voyageurs de VIA est de compétence fédérale dans toutes les régions du Canada.

    La subdivision Victoria commence à Victoria et se rend jusqu'à Courtenay, 139,7 milles plus au nord. La circulation des trains est régie par le système de régulation de l'occupation de la voie (ROV), en vertu du Règlement d'exploitation ferroviaire du Canada (REF), et est surveillée par un contrôleur de la circulation ferroviaire posté à New Westminster (Colombie-Britannique). La vitesse maximale autorisée sur les voies de la subdivision est de 40 mi/h pour les trains de voyageurs et de 30 mi/h pour les trains de marchandises. Il y a en moyenne deux trains de voyageurs qui circulent chaque jour dans la subdivision (un en direction nord et un en direction sud) et il y a deux trains de marchandises qui y roulent à trois ou quatre reprises chaque semaine (un en direction nord et un en direction sud), tout dépendant de la demande.

    Renseignements sur le passage à niveau

    Dorman Road est une artère à deux voies qui croise la subdivision Victoria à un angle de près de 90 ° (voir la photo 2). Le passage à niveau est adjacent à l'autoroute, et se trouve à environ 22 m à l'ouest de l'axe central de celle-ci. L'autoroute est une route à quatre voies comportant des îlots séparateurs surélevés (dans le secteur où la collision s'est produite) et elle est la route principale qu'on emprunte pour traverser Nanaimo dans l'axe nord-sud. À l'intersection de Dorman Road, il n'y a pas de feux de circulation.

    Photo 2. Vue du passage à niveau public de Dorman Road (remarque : les directions qui figurent dans l'indicateur de la compagnie ferroviaire (nord/sud) ne correspondent pas nécessairement aux orientations géographiques réelles)
    Image
    Photo 2. Vue du passage à niveau public de Dorman Road (remarque : les directions qui figurent dans l'indicateur de la compagnie ferroviaire (nord/sud) ne correspondent pas nécessairement aux orientations géographiques réelles)

    L'autoroute est parallèle à la subdivision Victoria, et comprend une sortie pour accéder à Dorman Road. La limite de vitesse sur Dorman Road est de 50 km/h. Pour un automobiliste qui circule vers le sud sur l'autoroute, il n'y a pas de bretelle de sortie séparée; il n'était pas d'ailleurs nécessaire qu'on en aménage une lors de la construction de la route. Une piste cyclable passe entre la subdivision Victoria et l'autoroute, parallèlement à celles-ci, et croise Dorman Road à l'est du passage à niveau.

    Les dossiers du BST et de la British Columbia Safety Authority indiquent qu'un autre accident s'est produit à ce passage à niveau depuis 1983. Cet accident s'est produit le 1er avril 2002, quand une fourgonnette de livraison de cinq tonnes ne s'est pas arrêtée au passage à niveau et a été heurtée par le train qui approchait.

    Renseignements sur la signalisation du passage à niveau

    Le système de signalisation du passage à niveau de Dorman Road se compose de deux poteaux de signalisation équipés de feux de signalisation clignotants et de cloches; un des poteaux est placé du côté nord-estNote de bas de page 3 du passage à niveau, et l'autre se trouve du côté sud-ouest. Chaque poteau de signalisation est muni de trois jeux de lampes de signalisation à incandescence et d'un jeu de panneaux indicateurs normalisés de passage à niveau (croix de Saint-André). Le poteau de signalisation nord-est est aussi muni d'une cloche d'avertissement à fonctionnement électromécanique.

    L'orientation des feux du poteau de signalisation nord-est est la suivante :

    • vers la voie de circulation en direction nord, pour les véhicules qui quittent l'autoroute et s'engagent sur Dorman Road;
    • parallèle au passage à niveau, en direction de l'autoroute;
    • face aux véhicules qui roulent sur McCullough Road.

    L'orientation des feux du poteau de signalisation sud-ouest est la suivante :

    • vers la voie de circulation en direction sud, pour les véhicules qui quittent l'autoroute Island 19A et s'engagent sur Dorman Road;
    • face aux véhicules qui roulent sur McCullough Road;
    • face aux véhicules qui roulent vers l'est sur Dorman Road.

    Le signal du passage à niveau est activé quand un train ou un véhicule ferroviaire qui approche occupe le circuit. Au croisement de Dorman Road, le signal du passage à niveau s'active quand un train venant du nord se trouve à environ 1640 pieds au nord du passage à niveau, ou quand un train venant du sud se trouve à environ 1645 pieds au sud du passage à niveau.

    Conception du passage à niveau

    Il y a plus de 20 ans que Transports Canada a entrepris l'élaboration d'une nouvelle réglementation relative aux passages à niveau. La réglementation proposée et le manuel technique connexe sont beaucoup plus détaillés que la réglementation existante au sujet de la conception des passages à niveau. L'ébauche des normes techniques de Transports Canada, intitulée Normes techniques et exigences concernant l'inspection, les essais et l'entretien des passages à niveau rail-route (RTD 10) , publiée en 2002, sera incorporée par renvoi au nouveau règlement relatif aux passages à niveau. Dans l'intervalle, Transports Canada et l'industrie ferroviaire/les administrations routières (y compris la Southern Railway of Vancouver Island Limited) se servent de l'ébauche comme norme de facto aux fins de l'examen de la sécurité aux passages à niveau. Dans la province de la Colombie-Britannique, on consulte aussi le supplément de l'Association des transports du Canada (ATC), Guide canadien de conception géométrique (chapitre 1100) du ministère des Transports de la Colombie-Britannique, en plus de la RTD 10.

    Les deux guides de conception renvoient aux exigences concernant les lignes de visibilité des conducteurs (c'est-à-dire, la capacité pour les conducteurs de bien voir un train et les feux de signalisation). La RTD 10 traite aussi de la distance de visibilité d'arrêt. Le passage à niveau de Dorman Road a été construit et modifié conformément aux normes applicables du temps, des normes qui resteront telles quelles tant que la RTD 10 n'aura pas été adoptée officiellement.

    Distance de visibilité d'arrêt

    On définit la distance de visibilité d'arrêt comme la somme de la distance parcourue pendant le délai de perception et de réaction d'un conducteur de véhicule qui aperçoit un signal, plus la distance de freinage du véhicule. La distance de freinage est la distance que le véhicule parcourt avant de s'arrêter une fois qu'on a appliqué les freins. La valeur recommandée pour le délai de perception et de réaction est de 2,5 secondesNote de bas de page 4, Note de bas de page 5. Dans le cas des passages à niveau, les facteurs critiques qui influent sur le délai de perception et de réaction comprennent la visibilité du système de signalisation, le fait qu'on s'attende ou non à apercevoir des signaux activés et le degré d'urgence associé à des signaux spécifiques. L'activation des dispositifs automatiques d'avertissement d'un passage à niveau est censée communiquer un sentiment d'urgence aux conducteurs. Les valeurs recommandées de distance de visibilité d'arrêt pour les automobiles qui circulent à des vitesses allant de 20 km/h à 70 km/h sont résumées au tableau 1.

    Tableau 1. Valeurs recommandées de distance de visibilité d'arrêt pour les automobiles
    Vitesse
    (km/h)
    Délai de perception et de réaction
    (secondes)
    Distance de visibilité d'arrêt (m)
    16 2,5 14*
    20 2,5 18*
    30 2,5 30*
    40 2,5 45
    50 2,5 65
    60 2,5 85
    70 2,5 110
    * On a calculé les valeurs de distance de visibilité d'arrêt pour des vitesses de 16, 20 et 30 km/h, en supposant un coefficient de frottement de 0,45 (surface humide en palier), et en utilisant les formules de la RTD 10.

    Pour des véhicules roulant à plus de 16 km/h, la distance de visibilité d'arrêt disponible sur Dorman Road pour des véhicules roulant vers le sud qui sortaient de l'autoroute (soit 14 m) ne respectait pas les exigences minimales du projet de norme RTD 10.

    Orientation des signaux du passage à niveau public de Dorman Road

    La photo 3 montre une vue en plongée du passage à niveau public de Dorman Road. La photo montre la géométrie de la route, la position des feux d'avertissement de passage à niveau, faisant face à l'est, et l'orientation approximative des feux d'avertissement de passage à niveau. Pour qu'on puisse faire une comparaison, la photo 4 montre une vue en plongée du passage à niveau public de Waddington Road, situé à environ 2 km au sud du passage à niveau public de Dorman Road.

    Photo 3. Vue du passage à niveau public de Dorman Road
    Image
    Photo 3. Vue du passage à niveau public de Dorman Road
    Photo 4. Vue du passage à niveau public de Waddington Road
    Image
    Photo 4. Vue du passage à niveau public de Waddington Road

    La vitesse maximale autorisée sur l'autoroute à la sortie de Dorman Road est de 70 km/h, et elle est de 60 km/h à la sortie de Waddington Road. Avant la sortie de Waddington Road, un signal d'avertissement de passage à niveau annonce le croisement aux conducteurs des véhicules qui roulent vers le sud. Il n'y a pas de signal de ce genre à l'intersection de Dorman Road. Aux deux passages à niveau, il y a trois jeux de feux à incandescence annonçant le passage à niveau, dont un jeu oblique de feux de signalisation qui avertit les automobilistes roulant vers le nord qui quittent l'autoroute.

    Pour les automobilistes roulant vers le sud qui quittent l'autoroute :

    • À Waddington Road, il y a deux jeux obliques de feux de signalisation de passage à niveau, à l'intention des automobilistes roulant en direction sud.
    • À Dorman Road, un jeu oblique de feux de signalisation de passage à niveau, placé à l'intention des automobilistes roulant en direction sud, est situé au sud-ouest des voies, à 30 m du point où un feu de signalisation activé devient visible pour un automobiliste roulant vers le sud qui va quitter l'autoroute Island 19A. L'autre jeu de feux de signalisation de passage à niveau est placé parallèlement à la voie ferrée (c'est-à-dire perpendiculairement à l'autoroute Island 19A) et n'est pas dirigé vers des voitures qui approcheraient sur une voie en particulier.

    Quand on se place sur l'autoroute et qu'on regarde en direction sud, les signaux de passage à niveau sont beaucoup plus visibles à l'intersection de Waddington Road qu'à celle de Dorman Road, même si cette différence de visibilité s'explique en partie par des différences entre la géométrie des deux passages à niveau.

    Renseignements sur l'automobiliste

    L'automobiliste possédait un permis valide de conducteur novice de la Colombie-Britannique, habitait Nanaimo et connaissait bien le secteur. La désignation novice correspond à la deuxième étape d'un programme provincial de permis gradué en trois étapes. Les conducteurs novices sont soumis notamment aux restrictions suivantes :

    • Il leur est interdit de se servir d'un téléphone cellulaire portatif ou mains libres et d'un appareil électronique portatif quand ils conduisent.
    • Le symbole N doit être affiché à l'arrière du véhicule de façon que les autres conducteurs puissent le voir.
    • Il leur est interdit de conduire après avoir consommé de l'alcool.
    • Il leur est interdit de transporter plus d'un passager — à moins de conduire une automobile et d'être supervisé par une personne de 25 ans ou plus qui est titulaire d'un permis de conduire valide de classe 1, 2, 3, 4 ou 5. Cette dernière restriction ne s'applique pas à la famille immédiate.

    L'article 185 de la Motor Vehicle Act (loi sur les véhicules automobiles) de la Colombie-Britannique exige que le conducteur ou la conductrice immobilise le véhicule au plus à 15 m, mais au moins 5 m, du rail le plus rapproché de la voie ferrée, et qu'il ou elle n'engage pas le véhicule sur la voie ferrée tant qu'il ou elle ne peut pas le faire sans danger.

    Rien n'indique que les facultés de l'automobiliste aient pu être réduites ou que l'automobiliste ait pu être distrait au moment de l'accident.

    Sondage sur le comportement des conducteurs au passage à niveau public de Dorman Road

    Le BST a réalisé un sondage pour connaître le comportement des conducteurs au passage à niveau public de Dorman Road. Il a interrogé des conducteurs d'automobiles roulant en direction sud qui venaient de quitter l'autoroute et de s'engager sur Dorman Road alors que les feux de signalisation du passage à niveau étaient activés (voir au tableau 2 les questions qui ont été posées aux conducteurs, et le résumé des réponses). La moitié des entrevues ont été faites entre 10 h et 12 h, et le reste des entrevues ont été réalisées entre 14 h 30 et 16 h 30. Le jour du sondage, le temps était nuageux et il pleuvait un peu. Le soleil a brillé brièvement au cours de la séance de l'avant-midi, mais rien n'indique que la vision des conducteurs en ait été affectée.

    Tableau 2. Questions posées aux conducteurs et résultats obtenus
    Questions Résultats
    Passez-vous fréquemment par la sortie de Dorman Road? Fréquemment 20
    Peu fréquemment 5
    Avez-vous immobilisé votre véhicule à la ligne d'arrêt du passage à niveau, ou avant la ligne d'arrêt? Oui 16
    Non 9
    Où étiez-vous quand vous avez vu les feux de signalisation? Le conducteur était encore sur l'autoroute Island 19A 3
    Le conducteur tournait sur Dorman Road 9
    Après que le conducteur a tourné 8
    N'a pas vu les feux de signalisation activés du passage à niveau 5
    Connaissez-vous un ou des programmes de sensibilisation à la sécurité ferroviaire? Oui 0
    Non 25

    On considère que les résultats de ce sondage sur le comportement des conducteurs donnent de bonnes indications, mais qu'on ne saurait en tirer des conclusions définitives. Voici certaines observations spécifiques qu'on a pu faire :

    • cinq conducteurs (20 %) ont répondu qu'ils n'avaient pas vu les feux de signalisation activés du passage à niveau.
    • dix-sept conducteurs (68 %) ont vu les feux de signalisation activés du passage à niveau après avoir amorcé le virage pour quitter l'autoroute.
    • seulement 3 conducteurs (12 %) ont vu les signaux pendant qu'ils étaient encore sur l'autoroute, et avant de s'engager dans l'intersection.

    On n'a pas mesuré la vitesse des véhicules au moment où ils tournaient sur Dorman Road. Toutefois, on a estimé qu'à la hauteur de cette sortie, la vitesse des véhicules était de l'ordre de 20 à 50 km/hNote de bas de page 6.

    Voici des observations additionnelles (basées sur les commentaires des conducteurs) qui ont été faites :

    • Il n'y a pas de signal avancé d'avertissement lorsque les dispositifs automatiques d'avertissement sont activés au passage à niveau.
    • En l'absence d'une voie de virage, certains conducteurs ont senti qu'ils devaient tourner plus rapidement sur Dorman Road lorsque des véhicules les suivaient sur l'autoroute.
    • Il n'y avait pas une distance suffisante entre l'intersection et la ligne d'arrêt du passage à niveau.
    • Certains conducteurs qui ont franchi le passage à niveau ont fait savoir que, quand ils ont vu les feux activés du passage à niveau, il était trop tard pour arrêter.

    Technologie de signalisation à DEL

    Les installations récentes de signalisation des passages à niveau utilisent des feux de signalisation à diodes électroluminescentes (DEL), lesquels assurent une visibilité accrue des feux de signalisation activés. Les technologies de signalisation faisant appel à des DEL et à des ampoules à incandescence dans les systèmes de signalisation ferroviaire continuent d'être acceptables pour les autorités réglementaires.

    Attention des conducteurs aux stimuli visuels et sonores

    Le champ de vision comprend la fovéa et les champs de vision périphérique. On peut décrire la fovéa comme étant un cône étroit de 30° dont le centre est le point où l'acuité visuelle (c'est-à-dire la capacité de distinguer les détails) est à son maximum. La zone de vision périphérique correspond à une zone couvrant environ 180° vers l'avant, qui privilégie la détection du mouvementNote de bas de page 7. Les yeux regardent dans la direction jugée la plus importante. Dans le cas d'un automobiliste qui avance sur la route, l'attention visuelle est concentrée sur la route qui est devant lui. La distance vers l'avant sur laquelle il concentre son attention dépend de plusieurs facteurs, notamment la circulation, l'heure du jour, les conditions météorologiques, la vitesse et la géométrie de la route. Le regard du conducteur se porte tantôt au loin, tantôt plus près de son véhicule, en fonction de la densité de la circulation, de la présence de véhicules devant soi, etc. Aussi, les conducteurs regardent périodiquement vers la gauche et vers la droite, et notamment vers la droite pour surveiller les panneaux de signalisation routière. Pendant ces balayages périodiques, il faut environ 0,5 seconde pour que l'œil s'ajuste au changement de point de vue. Ce faisant, le conducteur surveille continuellement l'environnement extérieur. Dans les zones urbaines, le conducteur doit composer avec beaucoup plus de stimuli visuels que dans les zones ruralesNote de bas de page 8.

    Pour les conducteurs, le fait de préparer et d'exécuter un virage pour quitter une autoroute et s'engager sur une route représente un effort d'ordre mental et visuel. Les conducteurs exécutent simultanément plusieurs tâches, comme surveiller la vitesse de son propre véhicule, garder la bonne position dans la voie de circulation, surveiller les autres véhicules, les piétons, et ralentir pour tournerNote de bas de page 9. Quand on amorce un virage, on porte habituellement son regard sur l'entrée du virage, et pas beaucoup plus loin. Ensuite, on regarde un peu plus loin sur la route à mesure qu'on avance dans le virage. À l'intersection de Dorman Road, les conducteurs doivent en plus s'acquitter de tâches supplémentaires, c'est-à-dire percevoir les signaux d'avertissement de passage à niveau et réagir en conséquence. Ils doivent exécuter des tâches à partir du point où la fovéa perçoit le stimulus visuel associé au signal activé, en l'occurrence au début de la distance de visibilité d'arrêt.

    Il y avait eu deux stimuli sonores qui devaient signaler l'arrivée imminente d'un train, soit le sifflet de locomotive et la cloche montée sur le poteau de signalisation nord-est. Le sifflet a été actionné environ 28 secondes avant la collision et a continué de se faire entendre jusqu'à ce que le passage à niveau soit occupé par le train. Cette façon de procéder est conforme aux exigences de la règle 14 du REF, intitulée Signaux par sifflet de locomotive.

    La cloche, qui fait partie du système automatique d'avertissement de passage à niveau, a été activée pendant environ 28 secondes avant que le passage à niveau soit occupé par le train.

    Analyse

    Ni l'état de la voie ni l'état mécanique du train n'ont été des facteurs contributifs de l'accident. Même si les freins arrière du véhicule avaient une capacité fonctionnelle réduite, rien n'indique que l'état mécanique du véhicule ait contribué à l'accident. L'analyse traitera surtout de l'orientation des feux de signalisation du passage à niveau, des systèmes avancés d'avertissement, de la conduite du train et du comportement de l'automobiliste.

    L'accident

    Le véhicule en cause dans l'accident roulait en direction sud sur l'autoroute et a quitté l'autoroute pour tourner sur Dorman Road. La collision s'est produite quand le véhicule s'est immobilisé sur le passage à niveau, devant le train qui approchait.

    La signalisation du passage à niveau fonctionnait comme il se devait quand le train s'est approché du passage à niveau. Le signal censé avertir les véhicules roulant en direction sud qui sortent de l'autoroute pour s'engager sur Dorman Road est monté sur le poteau de signalisation placé au sud-ouest de la voie, et il est orienté vers la voie de virage. Par conséquent, ce signal devient de plus en plus visible à mesure que les véhicules roulant vers le sud sur l'autoroute approchent de l'intersection. Toutefois, quand les véhicules sont près de l'intersection, le signal se trouve dans la zone de vision périphérique du conducteur et devient donc moins apparent. De plus, quand les véhicules approchent de l'intersection et commencent à tourner, les conducteurs se concentrent sur de nombreux facteurs autres que les éléments visuels qui se trouvent dans leur champ de vision périphérique, car ils doivent notamment tourner dans l'intersection, se joindre à la circulation convergente des voitures roulant vers le nord, s'engager sur Dorman Road et surveiller les piétons et les cyclistes qui traversent Dorman Road. En outre, en l'absence de voie de virage désignée, des conducteurs sentent qu'ils doivent tourner rapidement pour laisser passer les voitures qui les suivent sur l'autoroute. Par conséquent, il est vraisemblable que l'automobiliste n'a aperçu le signal activé de passage à niveau qu'après que le véhicule s'est engagé dans l'intersection. Dès que l'automobiliste a pris conscience des feux clignotants du passage à niveau, la distance de 14 m entre l'intersection et la ligne d'arrêt du passage à niveau n'était plus suffisante pour que le véhicule puisse s'immobiliser avant de s'engager sur le passage à niveau.

    Orientation des feux de signalisation aux passages à niveau

    Au passage à niveau de Dorman Road, il y a trois jeux de feux de signalisation orientés vers les automobilistes qui sortent de l'autoroute : un jeu de feux oblique, orienté vers les automobilistes roulant vers le nord, un jeu de feux oblique, orienté vers les automobilistes roulant vers le sud, et un troisième jeu, perpendiculaire à l'autoroute Island 19A, qui n'est orienté vers aucune voie de circulation en particulier. Des observations faites à un passage à niveau similaire des environs (celui de Waddington Road) ont permis de constater qu'à cet endroit, l'orientation des signaux est plus favorable pour les automobilistes roulant vers le sud qui s'apprêtent à quitter l'autoroute (c'est-à-dire deux jeux de feux obliques orientés vers les automobilistes roulant vers le sud).

    Bien que les passages à niveau de Dorman Road et de Waddington Road soient tous deux munis du même nombre de feux de signalisation orientés vers les automobilistes qui sortent de l'autoroute, le jeu supplémentaire de feux obliques orientés vers les véhicules roulant en direction sud, qu'on trouve au passage à niveau de Waddington Road, fait en sorte que les signaux activés de passage à niveau sont davantage apparents à cet endroit. Quand les feux de signalisation de passage à niveau n'ont pas une orientation optimale qui leur donne une visibilité maximale pour les automobilistes qui approchent, les conducteurs risquent davantage de ne pas voir les feux d'avertissement et de ne pas pouvoir réagir en conséquence.

    Systèmes avancés d'avertissement de passage à niveau

    Ni le passage à niveau de Dorman Road ni celui de Waddington Road n'étaient munis de signaux avancés activés d'avertissement de passage à niveau. Il y avait un signal avancé passif d'avertissement, orienté vers les véhicules roulant vers le sud qui sortaient de l'autoroute pour s'engager sur Waddington Road. Malgré le fait que la vitesse autorisée pour les véhicules roulant vers le sud était plus élevée et que la distance d'arrêt était plus courte, on n'avait placé aucun panneau avancé d'avertissement à Dorman Road. En l'absence d'un système d'avertissement avancé à l'intention des automobilistes qui sortent d'autoroutes adjacentes à un passage à niveau, il se peut que les conducteurs ne disposent pas d'un avertissement suffisant qui leur permette de réagir à l'arrivée d'un train, ce qui augmente les risques de collision.

    Conduite du train

    La vitesse du train dépassait la vitesse maximale autorisée dans la subdivision (40 mi/h) quand le train s'approchait du passage à niveau. Au moment de l'accident, il circulait à environ 45 mi/h. Il est possible que le mécanicien ait concentré son attention sur les mouvements du véhicule lorsque celui-ci s'est approché du passage à niveau et l'a occupé, et qu'il n'ait pas remarqué que la vitesse du train avait augmenté.

    Comportement de l'automobiliste

    Aucune information ne suggère qu'une défaillance, une distraction ou l'inexpérience de l'automobiliste ont pu contribuer à cet événement. L'automobiliste était titulaire d'un permis de conduire de catégorie novice, conforme au programme de permis gradué de la province. Au sens de la Motor Vehicle Act de la Colombie-Britannique, on considère qu'un conducteur novice est capable de conduire un véhicule à moteur en toute sécurité. Même si l'on peut supposer qu'un conducteur novice est inexpérimenté et est susceptible de commettre des erreurs, on peut également présumer que ces conducteurs sont plus vigilants que d'autres, dont les nombreuses années d'expérience de conduite les ont parfois rendus trop confiants.

    Le sondage mené auprès des conducteurs a révélé que les véhicules circulent habituellement à au moins 20 km/h quand ils tournent à l'intersection de Dorman Road, mais qu'ils roulent parfois beaucoup plus vite que cela. La RTD 10 indique que, compte tenu de la vitesse minimale observée, une distance de visibilité d'arrêt d'au moins 18 m serait nécessaire pour immobiliser un véhicule en toute sécurité à la ligne d'arrêt d'un passage à niveau. Étant donné la distance de visibilité d'arrêt recommandée, et les vitesses auxquelles les véhicules roulent habituellement à

    l'intersection de Dorman Road, la distance de 14 m entre l'intersection et la ligne d'arrêt du passage à niveau était insuffisante pour que tous les véhicules s'arrêtent en toute sécurité avant le passage d'un train qui approche.

    Faits établis

    Faits établis quant aux causes et aux facteurs contributifs

    1. La collision s'est produite quand le véhicule s'est retrouvé sur le passage à niveau, devant le train qui approchait.
    2. L'automobiliste n'a vraisemblablement pas aperçu le signal activé de passage à niveau jusqu'au moment où le véhicule a commencé à tourner.
    3. Étant donné l'orientation des feux de signalisation pour les conducteurs roulant vers le sud qui s'engagent sur Dorman Road, le signal le plus rapproché de la voie d'accès était parallèle à la voie ferrée et se trouvait dans le champ de vision périphérique de l'automobiliste et, par conséquent, était moins apparent.
    4. Après que l'automobiliste a pris conscience des feux clignotants du passage à niveau, la distance de 14 m qui séparait l'intersection de la ligne d'arrêt du passage à niveau était insuffisante pour qu'on puisse immobiliser le véhicule avant que celui-ci s'engage sur le passage à niveau.

    Faits établis quant aux risques

    1. Quand les feux de signalisation de passage à niveau n'ont pas une orientation optimale qui leur donne une visibilité maximale pour les automobilistes qui approchent, les conducteurs risquent davantage de ne pas voir les feux d'avertissement et de ne pas pouvoir réagir en conséquence.
    2. En l'absence d'un système d'avertissement avancé à l'intention des automobilistes qui sortent d'autoroutes adjacentes à un passage à niveau, il se peut que les conducteurs ne disposent pas d'un avertissement suffisant qui leur permette de réagir à l'arrivée d'un train, ce qui augmente les risques de collision.

    Autres faits établis

    1. En l'absence d'une voie de virage désignée à l'intersection de Dorman Road, des conducteurs sentent qu'ils doivent tourner rapidement pour laisser passer les voitures qui les suivent sur l'autoroute.
    2. Étant donné les vitesses auxquelles les véhicules roulent habituellement à l'intersection de Dorman Road, la distance de 14 m entre l'intersection et la ligne d'arrêt du passage à niveau est insuffisante pour que tous les véhicules s'arrêtent en toute sécurité avant le passage d'un train qui approche.

    Mesures de sécurité

    Mesures de sécurité prises

    Le 17 décembre 2009, on a envoyé à la British Columbia Safety Authority un avis de sécurité ferroviaire (617-10/09) sur la protection au passage à niveau de Dorman Road, à Nanaimo (Colombie-Britannique).

    Même si l'installation de feux de signalisation à DEL aux passages à niveau n'est pas exigée par la loi, la Southern Railway of Vancouver Island Limited a entrepris de remplacer tous les feux de signalisation des passages à niveau de ses voies de l'île de Vancouver par des feux à DEL à mesure que les passages à niveau sont mis améliorés.

    Le présent rapport met un terme à l'enquête du Bureau de la sécurité des transports du Canada (BST) sur cet événement. Le Bureau a autorisé la publication du rapport le .

    Visitez le site Web du BST (www.bst-tsb.gc.ca) pour plus d’information sur le BST, ses services et ses produits. Vous y trouverez également des liens vers d’autres organismes de sécurité et des sites connexes.