Rapport d’enquête sur la sécurité du transport aérien A18Q0069

Perte d’espacement
Aéroport international Montréal/Pierre E. Trudeau, Montréal (Québec)

Le Bureau de la sécurité des transports du Canada (BST) a enquêté sur cet événement dans le but de promouvoir la sécurité des transports. Le Bureau n’est pas habilité à attribuer ni à déterminer les responsabilités civiles ou pénales. Le présent rapport n’est pas créé pour être utilisé dans le contexte d’une procédure judiciaire, disciplinaire ou autre. Voir Propriété et utilisation du contenu. Les pronoms et les titres de poste masculins peuvent être utilisés pour désigner tous les genres afin de respecter la Loi sur le Bureau canadien d’enquête sur les accidents de transport et de la sécurité des transports (L.C. 1989, ch. 3).

Table des matières

    Résumé

    Le 16 mai 2018, un Airbus A310-304 (immatriculation C-GFAT, numéro de série 545) exploité par Air Transat effectuait le vol 485 (TSC485) selon les règles de vol aux instruments, de l'aéroport international Lester B. Pearson de Toronto (Ontario) à destination de l'aéroport international Pierre-Elliott-Trudeau de Montréal (Québec). À peu près au même moment, un Cessna 421-B privé (immatriculation C-GADG, numéro de série 421B0802) qui effectuait un vol aux instruments, rentrait à l'aéroport international Pierre-Elliott-Trudeau de Montréal (Québec) à partir de l'aéroport de Trois-Rivières (Québec). L'Airbus arrivait par l'ouest, et sa trajectoire de vol devait le mener au nord de l'aéroport pour amorcer une approche en vue d'atterrir sur la piste 24R. Le Cessna arrivait du nord-est pour amorcer une approche en vue d'atterrir sur la piste 24L. À 19 h 01 min 17 s, heure avancée de l'Est, il y a eu perte d'espacement au moment où ces aéronefs se trouvaient à quelque 18 milles marins (nm) au nord-est de l'aéroport international Pierre-Elliott-Trudeau de Montréal. Ni l'espacement vertical minimal requis de 1000 pieds ni l'espacement latéral minimal de 3 milles marins n'avaient été maintenus. Au moment de la perte d'espacement, les aéronefs se trouvaient à 200 pieds et à 2,8 milles marins l'un de l'autre. Au point le plus rapproché, les 2 aéronefs se sont trouvés en deçà de 500 pieds verticalement et de 1,7 mille marin latéralement l'un de l'autre. À 19 h 02 min 22 s, après qu'ils eurent reçu des instructions des contrôleurs aériens, l'espacement requis a été rétabli, et les 2 aéronefs se sont posés sans incident.

    Renseignements de base

    Contexte

    Le 16 mai 2018, les pistes parallèles 24R et 24L étaient en service pour les vols de départ et d'arrivée à l'aéroport international Pierre-Elliott-Trudeau de Montréal (CYUL) (Québec) (annexe A).

    L'espace aérien du centre de contrôle régional (ACC) de Montréal est divisé en plusieurs sous-unités, dont la sous-unité terminale de Montréal. L'espace aérien de la sous-unité terminale de Montréal est lui-même divisé en 6 secteurs : arrivées nord (AN); arrivées sud (AS); arrivées basse altitude (LO); départs nord (DN); départs sud (DS); et satellite (SA). Au cours de la soirée de l'événement à l'étude, comme il y avait un manque de personnel, on a consolidé le contrôle de certains secteurs, qui étaient couverts par 3 postes de contrôle comme suit :

    • DN, DS et SA (ce poste de contrôle est ci-après nommé DN);
    • AN et AS (ce poste de contrôle est ci-après nommé AN);
    • LO Note de bas de page 1.

    Déroulement des vols

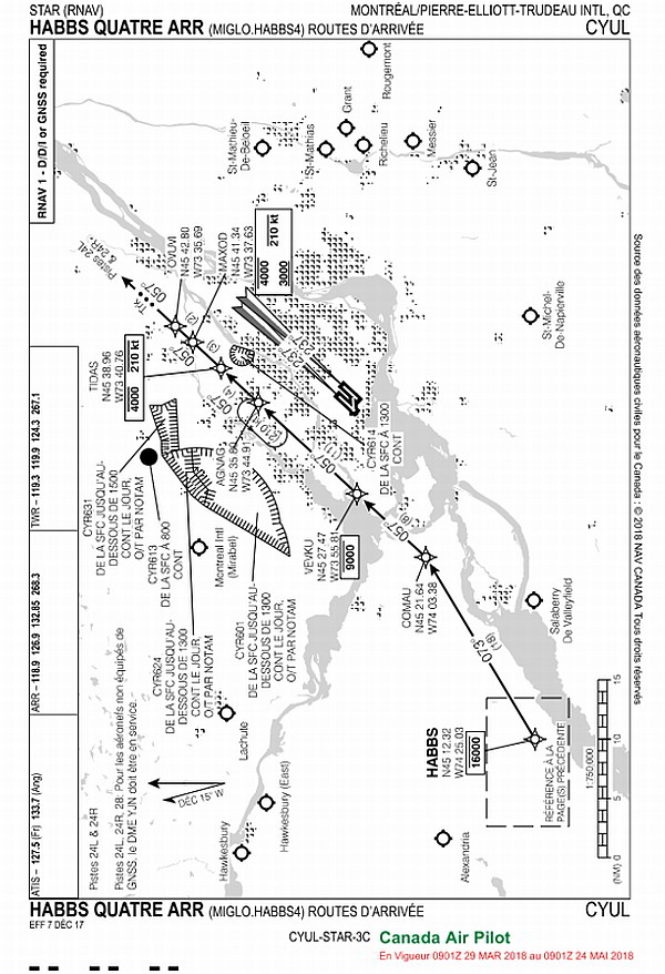
    Un Airbus A310-304 (immatriculation C-GFAT, numéro de série 545) exploité par Air Transat effectuait le vol 485 (TSC485) selon les règles de vol aux instruments (IFR), de l'aéroport international Lester B. Pearson de Toronto (CYYZ) (Ontario) à destination de CYUL avec 2 membres d'équipage de conduite, 7 membres d'équipage de cabine et 206 passagers à bord. L'Airbus arrivait de l'ouest, sa trajectoire de vol devant le mener au nord de CYUL selon une approche par navigation de surface (RNAV) Note de bas de page 2, spécifiquement l'arrivée normalisée en région terminale (STAR) Note de bas de page 3 HABBS QUATRE ARR (annexe B), pour amorcer ensuite une approche avec le système d'atterrissage aux instruments (ILS) Note de bas de page 4 vers la piste 24R (annexe C).

    À peu près au même moment, un Cessna 421-B sous immatriculation privée (immatriculation C-GADG, numéro de série 421B0802) effectuait un vol IFR pour rentrer à CYUL depuis l'aéroport de Trois-Rivières (CYRQ) (Québec), avec 2 pilotes à bord. Le Cessna arrivait du nord-est à 4000 pieds Note de bas de page 5 pour amorcer une approche ILS afin d'atterrir sur la piste 24L (annexe D).

    Les services de la circulation aérienne appliquaient l'espacement de surveillance radar dans l'espace aérien de la sous-unité terminale de Montréal.

    Chronologie des faits

    Vers 18 h 36 Note de bas de page 6, le contrôleur LO a été victime d'un malaise et a dû quitter la salle de l'exploitation. On a alors fermé le poste de contrôle LO, et le contrôleur AN a pris en charge le secteur LO.

    À 18 h 42 min 40 s, au moment où le Cessna arrivait du nord-est, le contrôleur du secteur Rawdon Note de bas de page 7, qui avait la responsabilité du contrôle du Cessna, a communiqué avec le contrôleur DN pour coordonner le transfert de responsabilité du contrôle. Le contrôleur DN a informé le contrôleur du secteur Rawdon que la responsabilité du contrôle du Cessna devait être transférée directement au contrôleur LO Note de bas de page 8, avant de se raviser immédiatement et d'indiquer que le transfert doit se faire au contrôleur AN. Le contrôleur DN a ensuite expliqué que le secteur LO avait été consolidé avec le secteur AN.

    Vers 18 h 48, le contrôleur DN a informé le contrôleur AN que la responsabilité du contrôle du Cessna lui serait directement transférée par le secteur Rawdon. Le contrôleur AN a signifié son accord, même si l'aéronef en question n'allait pas entrer dans son secteur de responsabilité avant un bon moment, car il devait d'abord traverser le secteur DN. Peu de temps après, le contrôleur AN a accepté la responsabilité du Cessna.

    À 18 h 49 min 53 s, au moment où l'aéronef se trouvait à environ 45 milles marins (nm) au nord-est de l'aéroport, le pilote du Cessna a communiqué avec le contrôleur AN pour l'informer qu'il naviguait à 4000 pieds. Le contrôleur AN a accusé réception de la transmission; il a informé le pilote que la piste 24L était la piste en service pour son vol et que l'information Zulu du service automatique d'information de région terminale (ATIS) Note de bas de page 9 était en vigueur.

    Peu après, le contrôleur AN a ordonné au pilote du Cessna de se diriger directement vers le repère d'approche intermédiaire SLOKA Note de bas de page 10 pour rejoindre l'approche ILS vers la piste 24L (annexe D). Le repère intermédiaire SLOKA se trouve sur la trajectoire d'approche finale à 11,9 nm du seuil de la piste 24L.

    Le contrôleur AN a établi le contact initial avec l'Airbus à 18 h 51 min 6 s. Durant cette transmission, il a informé l'équipage de conduite que la piste 24R était la piste en service pour leur vol et que le calage d'altimètre était de 29,90 pouces de mercure. L'équipage de conduite a accusé réception de l'information et a indiqué au contrôleur AN qu'il franchissait 16 700 pieds en descente à 8000 pieds et réduisait sa vitesse à 250 nœuds. L'affichage de situation du Système canadien automatisé de la circulation aérienne (CSiT) Note de bas de page 11 montrait que l'Airbus se trouvait à quelque 36 nm à l'ouest de l'aéroport.

    À 18 h 53 min 17 s, le surveillant de quart a rouvert le poste de contrôleur LO et a repris du contrôleur AN la responsabilité du secteur LO. Le contrôleur AN a fait un exposé verbal au surveillant de quart, qui remplissait également les fonctions de contrôleur LO. L'exposé comprenait les renseignements sur le Cessna, qui survolait à 4000 pieds le radiophare non directionnel de Saint-Félix-de-Valois, à environ 37 nm au nord-est de l'aéroport.

    Après le transfert de responsabilité de position, le contrôleur AN avait désormais la responsabilité des secteurs AN et AS.

    À 18 h 54 min 20 s, le Cessna est entré dans l'espace aérien terminal du secteur DN de Montréal, à environ 34 nm au nord-est de l'aéroport, à une altitude de 4000 pieds. Au même moment, l'Airbus se trouvait à environ 18 nm à l'ouest de CYUL et descendait de 11 900 pieds à 8000 pieds (figure 1).

    Figure 1. Gros plan de l'affichage de situation du Système canadien automatisé de la circulation aérienne de l'espace aérien de la sous-unité terminale de Montréal; on y voit le Cessna (C-GADG) qui entre dans l'espace aérien terminal du secteur DN de Montréal à 4000 pieds. L'Airbus (TSC485) est à 18 nm à l'ouest de l'aéroport. (Source : NAV CANADA, avec annotations du BST)
    Image
    Gros plan de l'affichage de situation du Système canadien automatisé de la circulation aérienne de l'espace aérien de la sous-unité terminale de Montréal; on y voit le Cessna (C-GADG) qui entre dans l'espace aérien terminal du secteur DN de Montréal à 4000 pieds. L'Airbus (TSC485) est à 18 nm à l'ouest de l'aéroport. (Source : NAV CANADA, avec annotations du BST)

    À 18 h 56 min 17 s, au moment où l'Airbus se trouvait à environ 9 nm à l'ouest de l'aéroport, le contrôleur AN a ordonné à l'équipage de conduite de descendre à 6000 pieds. Environ 1 minute plus tard, le contrôleur a ordonné à l'équipage de conduite de communiquer avec le contrôleur LO sur la fréquence 126,9 MHz. À ce moment, l'Airbus se trouvait à environ 6 nm au nord-ouest de l'aéroport, et le Cessna, à environ 27 nm au nord-est de l'aéroport.

    Pendant qu'il surveillait le poste de contrôle LO en attendant de prendre la responsabilité du secteur LO, un contrôleur stagiaire observait le Cessna sur le CSiT. L'indicatif de secteur montrait que le contrôleur AN était responsable du Cessna, et que celui-ci se trouvait dans le secteur DN.

    À 18 h 57 min 23 s, le contrôleur LO (qui était également le surveillant de quart) a transmis au contrôleur stagiaire l'information sur les aéronefs qui volaient dans le secteur LO au moyen d'un exposé verbal. Juste avant cet exposé, on avait diminué la portée du CSiT, et le Cessna était disparu de l'écran. Le contrôleur LO a oublié d'inclure l'information sur le Cessna durant son exposé verbal. Après l'exposé, le contrôleur LO a assumé la fonction de formateur en milieu de travail (OJI) du contrôleur stagiaire LO.

    À 18 h 57 min 57 s, l'équipage de conduite de l'Airbus a communiqué avec le contrôleur stagiaire LO pour l'informer qu'il franchissait 6700 pieds en descente à 6000 pieds. Le contrôleur stagiaire a accusé réception de l'information et a ordonné à l'équipage de conduite de poursuivre sa descente à 4000 pieds. L'Airbus se trouvait à environ 6 nm au nord-nord-ouest de l'aéroport, aligné sur la route d'arrivée normalisée en région terminale HABBS QUATRE ARR.

    À 18 h 59 min 16 s, l'équipage de conduite de l'Airbus a informé le contrôleur stagiaire LO qu'il ne pourrait peut-être pas franchir le point de cheminement TIDAS Note de bas de page 12,Note de bas de page 13 sous la restriction d'altitude requise. Le contrôleur a accusé réception de l'information, puis a annulé la restriction d'altitude. L'Airbus se trouvait à environ 9 nm au nord-nord-est de l'aéroport et volait en direction nord-est. Le Cessna se trouvait à environ 24 nm au nord-est de l'aéroport et volait en direction sud-ouest.

    À 18 h 59 min 30 s, le Cessna est entré dans le secteur LO à environ 23 nm au nord-est de l'aéroport en se dirigeant vers le repère d'approche intermédiaire SLOKA à 4000 pieds d'altitude. L'Airbus se trouvait à environ 10 nm au nord-est de l'aéroport en descente à 4000 pieds et volait en direction nord-est (figure 2).

    Figure 2. Gros plan de l'affichage de situation du Système canadien automatisé de la circulation aérienne de l'espace aérien de la sous-unité terminale de Montréal montrant le Cessna (C-GADG) qui entre dans l'espace aérien terminal du secteur LO de Montréal à 4000 pieds et se dirigeant directement vers le repère d'approche intermédiaire SLOKA (Source : NAV CANADA, avec annotations du BST)
    Image
     Gros plan de l'affichage de situation du Système canadien automatisé de la circulation aérienne de l'espace aérien de la sous-unité terminale de Montréal montrant le Cessna (C-GADG) qui entre dans l'espace aérien terminal du secteur LO de Montréal à 4000 pieds et se dirigeant directement vers le repère d'approche intermédiaire SLOKA (Source : NAV CANADA, avec annotations du BST)

    À 19 h 41 s, le contrôleur stagiaire LO a ordonné à l'Airbus de virer à droite, de suivre un cap de 150° et de descendre à 3000 pieds. Le contrôleur stagiaire LO s'est ensuite informé auprès de l'OJI à propos du Cessna, montrant celui-ci du doigt sur le CSiT. Les 2 aéronefs se trouvaient à 6,4 nm l'un de l'autre : l'Airbus se trouvait à environ 15 nm au nord-est de l'aéroport, virant à droite et franchissant 4100 pieds en descente; le Cessna se trouvait à environ 21 nm au nord-est de l'aéroport et volait toujours en direction sud-ouest à 4000 pieds.

    À 19 h 01 min 11 s, l'OJI a tenté sans succès de joindre le Cessna par radio pour déterminer s'il syntonisait la fréquence du secteur LO. L'OJI a ensuite demandé au contrôleur AN de demander au Cessna de communiquer avec le contrôleur du secteur LO. Presque au même instant, le pilote du Cessna a communiqué avec le contrôleur AN sur la fréquence du secteur AN. Les 2 aéronefs se trouvaient alors à 3,6 nm l'un de l'autre : l'Airbus se trouvait à environ 16 nm au nord-est de l'aéroport, virant à droite et franchissant 3900 pieds en descente; le Cessna se trouvait à environ 19 nm au nord-est de l'aéroport et volait toujours directement vers le repère d'approche intermédiaire SLOKA à 4000 pieds.

    À 19 h 01 min 17 s, il s'est produit une perte d'espacement entre l'Airbus et le Cessna. Les aéronefs se trouvaient à 200 pieds et à 2,8 nm l'un de l'autre, soit en deçà de l'espacement minimum requis de 1000 pieds verticalement Note de bas de page 14 ou 3 nm latéralement Note de bas de page 15.

    À 19 h 01 min 19 s, le contrôleur AN a ordonné au pilote du Cessna de virer à gauche et de suivre un cap de 150°; 5 secondes plus tard, le contrôleur a ordonné au Cessna de virer immédiatement à gauche et de suivre un cap de 100°.

    À 19 h 01 min 29 s, le contrôleur stagiaire LO a ordonné à l'Airbus de virer à droite et de suivre un cap de 180°. Les 2 aéronefs se trouvaient alors à 2,2 nm l'un de l'autre : l'Airbus se trouvait à environ 17 nm au nord-est de l'aéroport, virant à droite et franchissant 3700 pieds en descente; le Cessna se trouvait à environ 19 nm au nord-est de l'aéroport, virant à gauche à 4000 pieds.

    À 19 h 01 min 35 s, le contrôleur AN a informé le pilote du Cessna que l'Airbus se trouvait à la position 1 h Note de bas de page 16, à environ 1 mille devant lui Note de bas de page 17 et volant en direction sud vers l'aéroport, à une altitude de 3500 pieds en descente. Le pilote du Cessna a informé le contrôleur AN qu'il apercevait l'Airbus.

    À 19 h 01 min 46 s, au moment où l'Airbus virait à droite et franchissait 3500 pieds en descente; le Cessna virait à gauche à 4000 pieds. À ce moment, les 2 aéronefs se trouvaient à 1,7 nm et à 500 pieds l'un de l'autre, soit le plus petit espacement latéral que les 2 aéronefs ont atteint (figure 3).

    Figure 3. Gros plan de l'affichage de situation du Système canadien automatisé de la circulation aérienne de l'espace aérien de la sous-unité terminale de Montréal montrant l'Airbus (TSC485) virant à droite et franchissant 3500 pieds en descente pendant que le Cessna (C-GADG) vire à gauche en vol en palier à 4000 pieds. Les 2 aéronefs sont à 1,7 nm et à 500 pieds l'un de l'autre. (Source : NAV CANADA, avec annotations du BST)
    Image
     Gros plan de l'affichage de situation du Système canadien automatisé de la circulation aérienne de l'espace aérien de la sous-unité terminale de Montréal montrant l'Airbus (TSC485) virant à droite et franchissant 3500 pieds en descente pendant que le Cessna (C-GADG) vire à gauche en vol en palier à 4000 pieds. Les 2 aéronefs sont à 1,7 nm et à 500 pieds l'un de l'autre. (Source : NAV CANADA, avec annotations du BST)

    À 19 h 01 min 56 s, le contrôleur AN a ordonné au Cessna de communiquer avec le contrôleur stagiaire LO sur la fréquence 126,9 MHz.

    À 19 h 01 min 58 s, le contrôleur stagiaire LO a ordonné à l'Airbus de virer à droite sur un cap de 210° et l'a autorisé à effectuer une approche ILS vers la piste 24R (annexe C). L'aéronef s'est posé sans incident.

    À 19 h 02 min 22 s, l'espacement requis entre l'Airbus et le Cessna a été rétabli.

    À 19 h 02 min 34 s, le contrôleur stagiaire LO a communiqué avec le Cessna et lui a ordonné de virer à droite et de suivre un cap de 210°.

    À 19 h 03 min 56 s, le Cessna a reçu l'autorisation d'effectuer une approche ILS vers la piste 24L (annexe D). Puis, à 19 h 04 min 59 s, après que le pilote eut indiqué qu'il apercevait l'aéroport, le Cessna a reçu l'autorisation d'effectuer une approche visuelle Note de bas de page 18; il a ensuite atterri sans incident.

    Système de surveillance du trafic et d'évitement des collisions

    Le système de surveillance du trafic et d'évitement des collisions (TCAS) à bord d'un aéronef détecte les risques de conflit de circulation au moyen des signaux du transpondeur de radar secondaire de surveillance et renseigne l'équipage de conduite à propos des autres aéronefs Note de bas de page 19. Les dimensions de l'espace aérien protégé par le TCAS varient selon la vitesse de rapprochement des aéronefs en question. Si un aéronef suit une route qui le mène à l'intérieur de la zone protégée autour d'un aéronef muni d'un TCAS, le système émet un avis de trafic ou de résolution à l'équipage de conduite Note de bas de page 20. Dans l'événement à l'étude, l'Airbus était muni d'un TCAS; or, l'équipage de conduite n'a reçu ni avis de résolution ni avis de trafic. Le personnel de maintenance d'Air Transat a par la suite mis à l'essai le TCAS et confirmé qu'il fonctionnait correctement. Le Cessna, selon la route qu'il suivait, n'avait peut-être pas encore atteint un point entraînant l'émission d'un tel avis, étant donné la vitesse de rapprochement entre les 2 aéronefs.

    L'enquête n'a pas permis de recueillir suffisamment de données de vol pour déterminer si le TCAS aurait dû émettre un avis de trafic ou un avis de résolution à l'équipage de conduite.

    Le Cessna n'était pas muni d'un TCAS, et la réglementation ne l'exigeait pas.

    Renseignements météorologiques

    Le message d'observation météorologique régulière pour l'aviation de CYUL émis à 19 h faisait état des conditions suivantes :

    • vents soufflant du 180° vrai à 7 nœuds;
    • visibilité de 30 milles terrestres;
    • quelques nuages à 10 000 pieds au-dessus du niveau du sol; nuages épars à 24 000 pieds au-dessus du niveau du sol;
    • température de 22 °C, point de rosée de 8 °C;
    • calage altimétrique de 29,89 pouces de mercure.

    Les conditions météorologiques n'ont pas été un facteur contributif à l'événement à l'étude.

    Service de la circulation aérienne

    Renseignements sur les contrôleurs

    Les contrôleurs de la circulation aérienne en cause dans l'événement à l'étude étaient titulaires d'une licence valide et qualifiés pour exercer leurs fonctions. L'enquête, qui comprenait un examen des horaires des postes des contrôleurs, a permis d'écarter la fatigue comme facteur dans cet événement.

    Le contrôleur stagiaire tentait de se qualifier pour travailler dans la sous-unité terminale de Montréal; il travaillait sous la supervision du surveillant de quart, qui était également l'OJI. Le surveillant de quart était contrôleur à la sous-unité terminale de Montréal depuis 2007 et avait été nommé surveillant à titre intérimaire le 19 février 2018. Le contrôleur DN et le contrôleur AN en service au moment de l'événement étaient contrôleurs à la sous-unité terminale de Montréal depuis 2007 et 2015 respectivement.

    Effectifs

    D'après les directives de la sous-unité terminale de Montréal, 7 contrôleurs et 1 surveillant auraient dû être en service le soir de l'événement à l'étude. Toutefois, en raison d'absences, il y avait pénurie de contrôleurs à la sous-unité terminale de Montréal le soir de l'événement; seuls 4 contrôleurs (sans compter le contrôleur stagiaire) et 1 surveillant de quart étaient initialement en service. Trois des contrôleurs en question étaient à leur poste, et le quatrième était en pause. Au moment de l'événement, il n'y avait plus que 3 contrôleurs en service, l'un des contrôleurs ayant été victime d'un malaise. Par conséquent, le surveillant de quart a pris en charge le contrôle du secteur LO.

    Charge de travail

    Au moment de l'événement, la charge de travail à la sous-unité terminale de Montréal était modérée; la complexité était légère à modérée. Toutefois, la fermeture et la réouverture du secteur LO dans un laps de temps relativement court ont alourdi la charge de travail et le niveau de complexité Note de bas de page 21.

    Structure de l'espace aérien du centre de contrôle régional de Montréal

    L'ACC de Montréal régit l'espace aérien contrôlé dans un secteur défini dans le document Manuel d'exploitation ACC de Montréal. Ce secteur est divisé en plusieurs sous-unités, y compris la sous-unité terminale de Montréal, elle-même divisée en secteurs AN, AS, LO, DN, DS et SA Note de bas de page 22.

    Au moment de l'événement, on avait consolidé le contrôle de certains des 6 secteurs, qui étaient couverts par 3 postes de contrôleur (figure 4). Le contrôleur AN était responsable des aéronefs en arrivée normalisée en région terminale (STAR) et dans l'espace aérien au-dessus de certaines zones du secteur LO à des altitudes allant de 11 000 pieds à 6000 pieds (indiqué par « 110/60 » à la figure 4). Le contrôleur LO était responsable des aéronefs en approche vers l'aéroport et volant à une altitude d'au plus 7000 pieds dans le secteur LO. Le contrôleur DN était responsable des aéronefs qui volaient dans tout le reste de l'espace aérien contrôlé par la sous-unité terminale de Montréal, y compris les aéronefs en transit dans l'espace aérien au nord-nord-est de l'aéroport à des altitudes atteignant 16 000 pieds (« Espace aérien DN jusqu'à 160 » à la figure 4) et qui n'étaient pas attribués aux contrôleurs AN et LO. Le secteur Rawdon a la responsabilité de l'espace aérien au nord-est de l'aéroport, au-delà de l'espace aérien terminal de Montréal.

    Figure 4. Espace aérien terminal de Montréal lorsque les pistes 24R et 24L sont les pistes d'arrivée en service (Source : NAV CANADA, Manuel d'exploitation du terminal de Montréal, avec annotations du BST)
    Image
     Espace aérien terminal de Montréal lorsque les pistes 24R et 24L sont les pistes d'arrivée en service (Source : NAV CANADA, <em>Manuel d'exploitation du terminal de Montréal</em>, avec annotations du BST)

    Procédures de contrôle du trafic aérien

    Transfert de la responsabilité du contrôle

    Le Manuel des services de la circulation aérienne—Services de contrôle—Centre de contrôle régional de NAV CANADA comprend des directives sur la responsabilité du contrôle. D'après ce manuel, « [u]n seul secteur ou une seule unité ATC est responsable du contrôle d'un aéronef à tout moment. Le transfert de la responsabilité du contrôle d'un aéronef passera d'une unité ou d'un secteur ATC au suivant au fur et à mesure de la progression du vol Note de bas de page 23, Note de bas de page 24 ».

    Toujours d'après ce manuel, les contrôleurs doivent respecter les consignes suivantes : « [à] moins de coordination ou d'indication contraire dans une directive d'unité, un accord ou un arrangement, prenez le contrôle d'un aéronef uniquement lorsque celui-ci est dans votre zone de responsabilité Note de bas de page 25 » et « [e]ffectuez la coordination et obtenez l'autorisation avant de permettre un aéronef sous votre contrôle d'entrer dans l'espace aérien sous la responsabilité d'un autre contrôleur Note de bas de page 26 ».

    Relevés de position

    Le Manuel des services de la circulation aérienne—Services de contrôle—Centre de contrôle régional de NAV CANADA définit un relevé de position comme une « mesure prise par un contrôleur pour coordonner l'identification radar de la cible d'un aéronef avec un autre contrôleur lorsqu'il n'y a pas de transfert de communications Note de bas de page 27 ».

    Dans l'événement à l'étude, l'espace aérien au nord-est de l'aéroport, à l'extérieur de l'espace aérien terminal de Montréal, est contrôlé par le secteur Rawdon. Ainsi, le contrôleur du secteur Rawdon a communiqué avec le contrôleur DN pour amorcer un transfert verbal de la responsabilité du contrôle du Cessna. Le contrôleur DN a accusé réception de l'information comme étant un relevé de position et a informé le contrôleur du secteur Rawdon que la responsabilité du contrôle du Cessna devait être transférée directement au contrôleur AN. Le contrôleur DN a ensuite informé le contrôleur AN que la responsabilité du contrôle du Cessna lui serait directement transférée.

    Transferts

    Un transfert est le « processus de transfert de l'identification radar de la cible et des communications radio d'un aéronef à un autre secteur ou unité Note de bas de page 28 ». Le Manuel des services de la circulation aérienne—Services de contrôle—Centre de contrôle régional comprend des directives quant au moment d'amorcer le transfert, d'un contrôleur (le contrôleur transféreur) à un autre (le contrôleur récepteur). Lorsque le contrôleur récepteur applique l'espacement de surveillance radar des services de la circulation aérienne, le contrôleur transféreur doit amorcer le transfert avant que l'aéronef n'entre dans l'espace aérien du contrôleur récepteur et l'achever avant que l'aéronef ne franchisse la limite du secteurNote de bas de page 29.

    Restriction du service

    Il peut arriver que les contrôleurs doivent limiter le nombre d'aéronefs dans leur espace aérien afin d'assurer qu'ils puissent les contrôler de façon sécuritaire et efficace. Ils peuvent s'y prendre ainsi : « [demander] à un aéronef de rester au sol ou dans les airs [ou informer] un secteur voisin ou une unité voisine qu'une approbation sera exigée avant qu'un aéronef ne soit autorisé à pénétrer dans [sa] zone de responsabilité Note de bas de page 30 ».

    Durant la soirée de l'événement à l'étude, étant donné la pénurie de contrôleurs, les demandes pour transiter par l'espace aérien terminal de Montréal selon les règles de vol à vue (VFR) ont été refusées Note de bas de page 31, Note de bas de page 32, et les exercices d'approche IFR aux aéroports dans l'espace aérien de la sous-unité terminale de Montréal ont été interdits.

    Transfert de la responsabilité du poste

    Un transfert de responsabilité de poste est nécessaire lorsqu'un contrôleur prend la relève d'un autre contrôleur à un poste d'exploitation ou lorsque l'on ouvre un secteur. Durant le transfert, le contrôleur relevé doit « [donner] un exposé verbal au contrôleur de relève en utilisant la liste de vérification de transfert de poste Note de bas de page 33 ».

    La liste de vérification de la sous-unité terminale de Montréal stipule que le contrôleur relevé doit faire un exposé au contrôleur de relève sur certains éléments particuliers comme les conditions météorologiques, les signalements de turbulence, l'état du matériel, tout espace aérien à usage spécial en service, et les aéronefs VFR et IFR dans le secteur Note de bas de page 34.

    Responsabilités du formateur en milieu de travail

    Le Manuel des services de la circulation aérienne—Services de contrôle—Centre de contrôle régional décrit les responsabilités de l'OJI :

    La responsabilité de la présence au poste et des activités du poste est la même pour un OJI avec un stagiaire que pour un contrôleur seul au poste. Lorsque vous travaillez comme OJI :

    • Surveillez les activités d'exploitation et le stagiaire.
    • Soyez prêt à prendre le contrôle des activités d'exploitation du poste en tout temps sans demander au stagiaire de vous en donner les détails.
    • Lorsque la sécurité risque d'être compromise, limitez la participation du stagiaire aux activités d'exploitation Note de bas de page 35.

    Pendant qu'il surveillait le contrôleur stagiaire LO, l'OJI (qui était également surveillant de quart) a été distrait par une conversation entre la personne spécialiste de l'établissement des quarts et un autre contrôleur en service. Comme surveillant de quart, l'OJI voulait s'assurer que le contrôleur en question pourrait continuer à travailler au-delà de l'heure de fin prévue de son quart de manière à satisfaire aux exigences en matière d'effectifs pour le reste du quart.

    Responsabilités du surveillant de quart

    D'après le Manuel d'exploitation ACC de Montréal, les surveillants « sont responsables d'assigner les positions de travail, de faire respecter les lignes directrices s'appliquant à la salle d'exploitation et de s'assurer du respect des procédures et directives Note de bas de page 36 ». Toujours d'après ce manuel, « [l]e surveillant de chacune des sous-unités est responsable du choix de secteur à ouvrir ou à consolider Note de bas de page 37 ». Les facteurs dont on doit tenir compte quand on prend ces décisions comprennent le trafic actuel et prévu et la disponibilité du personnel Note de bas de page 38.

    Facteurs humains

    Mémoire des contrôleurs de la circulation aérienne

    Comme l'indique le Handbook of Aviation Human Factors Note de bas de page 39, le contrôle de la circulation aérienne est un environnement opérationnel dynamique et riche en information. On doit percevoir, retenir et récupérer un flux continu d'information transitoire – principalement pour l'utiliser dans les secondes ou minutes qui suivent – et l'oublier aussitôt. Les écrans d'affichage de contrôle de la circulation aérienne fournissent beaucoup d'information, et les contrôleurs doivent se concentrer sur certaines sections des écrans relatives à leurs tâches et priorités continues.

    Les modèles de traitement de l'information par les humains reconnaissent que la mémoire de travail (à court terme) reçoit, stocke et récupère continuellement de l'information. Elle permet aux contrôleurs de retenir de l'information transitoire et de produire des résultats subséquents. Or, la mémoire de travail a ses limites et ses contraintes, et elle est particulièrement vulnérable aux distractions et aux interruptions. Par conséquent, on peut oublier de l'information très importante. La capacité de la mémoire de travail est encore plus limitée dans un environnement dynamique qui comprend beaucoup d'information transitoire.

    Il y a un lien entre l'oubli d'information stockée dans la mémoire de travail (trous de mémoire) et la capacité de récupérer l'information cruciale. En général, il y a 2 mécanismes en jeu dans la défaillance de la localisation de l'information ou les trous de mémoire : (1) la dégradation rapide de l'information et (2) l'interférence. Dans le cas de la dégradation rapide, la disponibilité de l'information diminue avec le temps, car elle est remplacée par d'autre information. L'interférence (ou la distraction) est causée par des activités concurrentes ou concomitantes qui exigent de détourner l'attention.

    La nature transitoire et la volatilité de l'information dans la mémoire de travail sont probablement les plus importants facteurs contributifs aux erreurs opérationnelles dans le contrôle de la circulation aérienne Note de bas de page 40. Des études ont montré que la mémoire de travail retient très bien l'information pendant environ 15 secondes, après quoi la rétention est minimale. Des procédures d'utilisation normalisées peuvent aider à atténuer ce facteur Note de bas de page 41.

    Adaptation des procédures normalisées

    Des procédures normalisées existent pour aider les contrôleurs à fournir les services de la circulation aérienne. Ces procédures, quand on les observe, accroissent l'efficacité opérationnelle et réduisent au minimum la coordination nécessaire entre différents secteurs ou différentes unités.

    D'après le Manuel d'exploitation du terminal de Montréal, les procédures qui y sont décrites « devraient être observées afin de maintenir un environnement opérationnel simple, structuré et régulier. Tout écart par rapport à ces procédures qui a pour effet d'augmenter la coordination nécessaire doit être justifié par une augmentation appréciable de l'efficacité opérationnelle Note de bas de page 42 ».

    Il arrive que les procédures normalisées ne soient pas suivies à la lettre, et que des pratiques fassent l'objet d'adaptations. Certaines conditions et circonstances peuvent être propices à de telles adaptations. Par exemple, en l'absence de conséquences négatives, les adaptations peuvent persister et devenir généralisées.

    Conscience situationnelle

    On entend par conscience situationnelle [traduction] « la perception des éléments dans l'environnement à l'intérieur d'un volume de temps et d'espace, la compréhension de leur signification, et la projection de leur état à court terme Note de bas de page 43 ». Cette définition mentionne 3 niveaux de conscience situationnelle qui sont essentiels à un rendement efficace dans des environnements dynamiques. C'est-à-dire que pour atteindre un rendement qui produit le résultat escompté, il faut être en mesure de percevoir l'information (perception), d'en comprendre la signification (compréhension) et d'en saisir les répercussions sur les activités à venir (projection).

    Analyse

    Les contrôleurs de la circulation aérienne en cause dans l'événement à l'étude étaient titulaires d'une licence valide et qualifiés pour exercer leurs fonctions. Le contrôleur stagiaire travaillait sous la surveillance d'un formateur en milieu de travail (OJI) qualifié qui était également surveillant de quart. L'enquête n'a permis de relever aucune indication selon laquelle les contrôleurs étaient fatigués.

    La perte d'espacement s'est produite à la suite d'un écart par rapport aux procédures normalisées, de trous de mémoire causés par le nombre d'échanges d'information entre les contrôleurs et d'une perte de la pleine conscience situationnelle. La distraction de l'OJI attribuable à ses autres fonctions de surveillant de quart a également contribué à cet événement. L'analyse qui suit porte sur les effectifs, le transfert de contrôle et les responsabilités des divers postes.

    Effectifs

    D'après les directives de la sous-unité terminale de Montréal, 7 contrôleurs et 1 surveillant de quart auraient dû être en service le soir de l'événement à l'étude. L'absence de 3 contrôleurs à la sous-unité terminale de Montréal a entraîné la consolidation de certains secteurs à contrôler, de manière que 3 postes de contrôle puissent les couvrir : DN était chargé des secteurs départs nord (DN), départs sud (DS) et satellite (SA); AN était responsable des secteurs arrivées nord (AN) et arrivées sud (AS); et LO était responsable uniquement du secteur des arrivées basse altitude (LO).

    Avant l'événement à l'étude, le contrôleur LO a été victime d'un malaise et a dû quitter la salle de l'exploitation. Par conséquent, le poste de contrôle LO a été fermé, et le contrôle du secteur LO a été consolidé avec le poste de contrôle AN. Le poste de contrôle LO a été rouvert plus tard, et le surveillant de quart a pris en charge ce secteur.

    La consolidation des secteurs dans la sous-unité terminale de Montréal à cause d'un manque de personnel, situation aggravée par le malaise soudain du contrôleur LO et la fermeture, puis la réouverture du secteur LO, a agrandi les zones de responsabilité des contrôleurs de même que leur charge de travail et le niveau de complexité de celle-ci.

    Transfert de la responsabilité du contrôle

    D'après le Manuel des services de la circulation aérienne—Services de contrôle—Centre de contrôle régional de NAV CANADA,les contrôleurs doivent prendre le contrôle d'un aéronef uniquement une fois que celui-ci est dans leur zone de responsabilité. Ils devraient effectuer la coordination et obtenir une approbation avant de permettre à un aéronef dont ils ont le contrôle d'entrer dans l'espace aérien d'un autre contrôleur, à moins que le transfert de responsabilité du contrôle n'ait été autrement coordonné ou précisé dans une directive d'unité, un accord ou un arrangement. D'après le Manuel d'exploitation du terminal de Montréal, il est essentiel d'observer les procédures qui y sont décrites pour maintenir un environnement d'exploitation simple, structuré et uniforme. Ce même manuel précise en outre que tout écart par rapport à ces procédures ayant pour effet d'augmenter le travail de coordination doit être justifié par une augmentation appréciable de l'efficacité opérationnelle globale Note de bas de page 44.

    Dans l'événement à l'étude, comme le Cessna approchait de l'aéroport international Pierre-Elliott-Trudeau de Montréal du nord-est à 4000 pieds, la responsabilité du contrôle de l'aéronef aurait dû être transférée, du contrôleur du secteur Rawdon au contrôleur DN, puis au contrôleur LO. Or, lorsque le contrôleur du secteur Rawdon a communiqué avec le contrôleur DN pour amorcer le transfert de responsabilité du contrôle, le contrôleur DN a accusé réception de l'information comme s'il s'agissait d'un relevé de position; il a assuré une coordination verbale avec le contrôleur du secteur Rawdon afin que la responsabilité du contrôle de l'aéronef soit transférée directement au contrôleur AN, qui était également responsable du secteur LO à ce moment. Le contrôleur DN a ensuite informé le contrôleur AN que la responsabilité du contrôle du Cessna lui serait directement transférée. Le contrôleur AN a signifié son accord, même si l'aéronef en question n'allait pas entrer immédiatement dans son secteur de responsabilité. Le transfert de responsabilité du contrôle du Cessna, du contrôleur du secteur Rawdon directement au contrôleur AN, constituait donc un écart par rapport aux procédures spécifiées dans le Manuel d'exploitation du terminal de Montréal.

    Même si le contrôleur du secteur Rawdon avait amorcé la coordination verbale en vue du transfert de la responsabilité du contrôle du Cessna, et que le contrôleur DN avait traité ce message comme un relevé de position, la manière dont la responsabilité du contrôle a été transférée directement du contrôleur du secteur Rawdon au contrôleur AN a accru le travail de coordination nécessaire entre les contrôleurs. Par conséquent, on n'a pas maintenu un environnement d'exploitation simple, structuré et régulier, et le contrôleur AN est devenu responsable d'un aéronef qui se trouvait en dehors de sa zone de responsabilité.

    D'après le Manuel des services de la circulation aérienne—Services de contrôle—Centre de contrôle régional, étant donné que l'on appliquait l'espacement de surveillance radar des services de la circulation aérienne dans le secteur du contrôleur AN comme dans celui du contrôleur LO, le transfert de la responsabilité du contrôle du Cessna aurait dû se faire avant que l'aéronef ne franchisse la limite qui sépare les 2 secteurs. Le contrôleur AN aurait dû amorcer le transfert. Après que le contrôleur LO eut accepté le transfert, le contrôleur AN aurait dû ordonner au Cessna de communiquer avec le contrôleur LO sur la fréquence du secteur LO. Toutefois, dans l'événement à l'étude, le contrôleur AN a oublié le Cessna, et le transfert n'a jamais été achevé.

    La responsabilité du contrôle du Cessna n'a pas été transférée du contrôleur AN au contrôleur stagiaire LO avant que le Cessna n'entre dans l'espace aérien du secteur LO. Par conséquent, ni le contrôleur AN ni l'OJI du contrôleur LO n'avaient observé que le Cessna était entré dans l'espace aérien du secteur LO sur l'affichage de situation du Système canadien automatisé de la circulation aérienne (CSiT) avant que le contrôleur stagiaire LO ne leur fasse remarquer.

    Transfert de la responsabilité du poste

    Conformément aux procédures décrites dans le Manuel des services de la circulation aérienne—Services de contrôle—Centre de contrôle régional et dans le Manuel d'exploitation du terminal de Montréal, le contrôleur AN a fait un exposé de transfert de responsabilité du poste au surveillant de quart lorsqu'il a rouvert le secteur LO et l'a pris en charge. Le surveillant de quart a accusé réception de l'information et supposait que la responsabilité du contrôle du Cessna lui serait transférée avant que l'aéronef n'entre dans son secteur. Toutefois, après que le contrôleur AN eut fourni au contrôleur LO l'information sur le Cessna durant l'exposé de transfert de responsabilité du poste, il supposait que le contrôleur LO était maintenant responsable du Cessna, même s'il n'y avait eu aucun transfert automatique du Cessna au contrôleur LO et malgré le fait que le Cessna n'avait reçu aucune instruction de communiquer avec le contrôleur LO sur la fréquence du secteur LO.

    Une fois que le transfert de responsabilité du poste pour le secteur LO eut été achevé, le contrôleur AN avait de nouveau la responsabilité des secteurs AN et AS. Par conséquent, le contrôleur AN a concentré son attention sur sa zone de responsabilité habituelle, qui ne comprenait pas l'espace aérien du secteur DN, même si le Cessna volait dans ce secteur et était toujours sous son contrôle. Comme il n'avait pas l'habitude de prendre en charge des aéronefs dans l'espace aérien du secteur DN, le contrôleur AN n'a pas inclus le secteur DN dans son balayage visuel du CSiT.

    Ainsi, après le transfert de responsabilité du poste pour le secteur LO, le contrôleur AN s'est concentré sur sa zone de responsabilité habituelle, qui ne comprenait pas l'espace aérien au nord-est de l'aéroport où se trouvait le Cessna, et il a oublié de transférer la responsabilité du Cessna. La dégradation rapide de l'information et le détournement de l'attention ont contribué à ce trou de mémoire.

    Peu de temps après que le surveillant de quart eut rouvert le secteur LO, le contrôleur stagiaire a commencé à surveiller le poste de contrôle LO. Le contrôleur stagiaire a aperçu le Cessna sur le CSiT, qui montrait que le contrôleur AN avait la responsabilité du contrôle de l'aéronef.

    Après que le contrôleur stagiaire se fut familiarisé avec le déroulement des activités, l'OJI lui a fait un exposé verbal qui comprenait les aéronefs volant selon les règles de vol aux instruments qui approchaient de l'aéroport. Le Cessna n'était pas visible sur le CSiT durant l'exposé verbal, car on avait diminué sa portée pour se concentrer sur la zone de responsabilité du secteur LO. Durant l'exposé verbal et l'échange d'information sur les aéronefs entre l'OJI et le contrôleur stagiaire LO, aucune information sur le Cessna n'a été fournie. Par conséquent, le contrôleur stagiaire LO n'a pas eu la possibilité d'intégrer sa connaissance du trafic convergent volant selon les règles de vol aux instruments dans sa conscience de la situation du trafic.

    Pendant que la situation évoluait, l'OJI du contrôleur stagiaire LO a été distrait par une conversation entre la personne spécialiste de l'établissement des quarts et un autre contrôleur en service. En tant que surveillant de quart, il voulait s'assurer que le contrôleur en question puisse continuer à travailler au-delà de l'heure de fin prévue de son quart de manière à satisfaire aux exigences en matière d'effectifs pour le reste du quart. L'attention de l'OJI a ainsi été détournée de ses responsabilités d'OJI, du CSiT, et de l'exploitation; par conséquent, il n'a pas surveillé adéquatement la situation qui se dessinait ni l'exploitation.

    Faits établis

    Faits établis quant aux causes et aux facteurs contributifs

    1. La consolidation des secteurs dans la sous-unité terminale de Montréal à cause d'un manque de personnel, situation aggravée par le malaise soudain du contrôleur arrivées basse altitude et la fermeture, ainsi que la réouverture du secteur d'arrivées basse altitude, a agrandi les zones de responsabilité des contrôleurs de même que leur charge de travail et le niveau de complexité de celle-ci.
    2. Le transfert de responsabilité du contrôle du Cessna, du contrôleur du secteur Rawdon directement au contrôleur arrivées nord, constituait un écart par rapport aux procédures spécifiées dans le Manuel d'exploitation du terminal de Montréal.
    3. On n'a pas maintenu un environnement d'exploitation structuré et régulier, et le contrôleur arrivées nord est devenu responsable d'un aéronef qui se trouvait en dehors de sa zone de responsabilité.
    4. La responsabilité du contrôle du Cessna n'a pas été transférée du contrôleur arrivées nord au contrôleur stagiaire arrivées basse altitude avant que le Cessna n'entre dans l'espace aérien du secteur des arrivées basse altitude. Par conséquent, ni le contrôleur arrivées nord ni l'instructeur en milieu de travail du contrôleur stagiaire arrivées basse altitude n'avaient observé que le Cessna entrait dans l'espace aérien du secteur des arrivées basse altitude sur l'affichage de situation du Système canadien automatisé de la circulation aérienne avant que le contrôleur stagiaire arrivées basse altitude ne leur fasse remarquer.
    5. Après que le contrôleur arrivées nord eut fourni au contrôleur arrivées basse altitude l'information sur le Cessna durant l'exposé verbal de transfert de responsabilité du poste, il supposait que le contrôleur arrivées basse altitude était maintenant responsable de l'aéronef, même s'il n'y avait eu aucun transfert automatique du Cessna au contrôleur arrivées basse altitude.
    6. Après le transfert de responsabilité du poste pour le secteur arrivées basse altitude, le contrôleur arrivées nord s'est concentré sur sa zone de responsabilité habituelle, qui ne comprenait pas l'espace aérien au nord-est de l'aéroport où se trouvait le Cessna, et il a oublié de transférer la responsabilité du Cessna.
    7. Durant l'exposé verbal et l'échange d'information sur les aéronefs entre l'instructeur en milieu de travail du contrôleur arrivées basse altitude et le contrôleur stagiaire arrivées basse altitude, aucune information sur le Cessna n'a été fournie. Par conséquent, le contrôleur stagiaire arrivées basse altitude n'a pas eu la possibilité d'intégrer sa connaissance du trafic convergent volant selon les règles de vol aux instruments dans sa conscience de la situation du trafic.
    8. L'attention de l'instructeur en milieu de travail du contrôleur arrivées basse altitude a été détournée de ses responsabilités d'instructeur, de l'affichage de situation du Système canadien automatisé de la circulation aérienne, et de l'exploitation; par conséquent, il n'a pas surveillé adéquatement la situation qui se dessinait ni l'exploitation.

    Mesures de sécurité

    Mesures de sécurité prises

    Le Bureau n'est pas au courant de mesures de sécurité prises à la suite de l'événement à l'étude.

    Le présent rapport conclut l'enquête du Bureau de la sécurité des transports du Canada sur cet événement. Le Bureau a autorisé la publication de ce rapport le . Il a été officiellement publié le .

    Annexes

    Annexe A – Carte d'aérodrome de l'aéroport international Pierre-Elliott-Trudeau de Montréal

    Annexe a.Carte d'aérodrome de l'aéroport international Pierre-Elliott-Trudeau de Montréal
    Image
     Carte d'aérodrome de l'aéroport international Pierre-Elliott-Trudeau de Montréal

    Remarque : NE DOIT PAS ÊTRE UTILISÉE POUR LA NAVIGATION.

    Source : NAV CANADA, Canada Air Pilot (en vigueur du 29 mars 2018 au 24 mai 2018) CAP 6 : Québec.

    Annexe B – Route d'arrivée normalisée en région terminale HABBS QUATRE ARR de l'aéroport international Pierre-Elliott-Trudeau de Montréal

    Annexe b. Route d'arrivée normalisée en région terminale HABBS QUATRE ARR de l'aéroport international Pierre-Elliott-Trudeau de Montréal
    Image
     Route d'arrivée  normalisée en région terminale HABBS QUATRE ARR de l'aéroport international  Pierre-Elliott-Trudeau de Montréal

    Remarque : NE DOIT PAS ÊTRE UTILISÉE POUR LA NAVIGATION.

    Source : NAV CANADA, Canada Air Pilot (en vigueur du 29 mars 2018 au 24 mai 2018) CAP 6 : Québec.


    Annexe C – Approche du système d'atterrissage aux instruments de la piste 24R à l'aéroport international Pierre-Elliott-Trudeau de Montréal

    Annexe c. Approche du système d'atterrissage aux instruments de la piste 24R à l'aéroport international Pierre-Elliott-Trudeau de Montréal
    Image
     Approche du système  d'atterrissage aux instruments de la piste 24R à l'aéroport international  Pierre-Elliott-Trudeau de Montréal

    Remarque : NE DOIT PAS ÊTRE UTILISÉE POUR LA NAVIGATION.

    Source : NAV CANADA, Canada Air Pilot (en vigueur du 29 mars 2018 au 24 mai 2018) CAP 6 : Québec.

    Annexe D – Approche du système d'atterrissage aux instruments de la piste 24L à l'aéroport international Pierre-Elliott-Trudeau de Montréal

    Annexe d. Approche du système d'atterrissage aux instruments de la piste 24L à l'aéroport international Pierre-Elliott-Trudeau de Montréal
    Image
     Approche du système  d'atterrissage aux instruments de la piste 24L à l'aéroport international  Pierre-Elliott-Trudeau de Montréal

    Remarque : NE DOIT PAS ÊTRE UTILISÉE POUR LA NAVIGATION.

    Source : NAV CANADA, Canada Air Pilot (en vigueur du 29 mars 2018 au 24 mai 2018) CAP 6 : Québec