Rapport d'enquête aéronautique A11A0035

Sortie en bout de piste
du Boeing 727-281, C-GKFJ
exploité par Kelowna Flightcraft Air Charter Ltd.
St. John's (Terre-Neuve-et-Labrador)

Le Bureau de la sécurité des transports du Canada (BST) a enquêté sur cet événement dans le but de promouvoir la sécurité des transports. Le Bureau n’est pas habilité à attribuer ni à déterminer les responsabilités civiles ou pénales. Le présent rapport n’est pas créé pour être utilisé dans le contexte d’une procédure judiciaire, disciplinaire ou autre. Voir Propriété et utilisation du contenu. Les pronoms et les titres de poste masculins peuvent être utilisés pour désigner tous les genres afin de respecter la Loi sur le Bureau canadien d’enquête sur les accidents de transport et de la sécurité des transports (L.C. 1989, ch. 3).

Table des matières

    Synopsis

    Le 16 juillet 2011, à 6 h 45, heure avancée de Terre-Neuve, un Boeing 727-281 (immatriculé C-GKFJ, numéro de série 21455) exploité par Kelowna Flightcraft Air Charter Ltd. sous l'indicatif KFA228 quitte l'aéroport international de Moncton (Nouveau-Brunswick) pour effectuer un vol régulier de transport de marchandises à destination de l'aéroport international de St. John's (Terre-Neuve-et-Labrador) avec, à son bord, 3 membres d'équipage. Après une approche à l'aide du système d'atterrissage aux instruments, l'aéronef se pose sur la piste 11 à 8 h 09, heure avancée de Terre-Neuve. Après le toucher des roues, l'équipage est incapable d'immobiliser l'aéronef avant l'extrémité de la piste. L'aéronef finit par s'arrêter dans le gazon, la roue avant à quelque 350 pieds au-delà de la bande d'extrémité de piste en dur. Personne n'est blessé et l'aéronef n'est que légèrement endommagé.

    1.0 Renseignements de base

    1.1 Déroulement du vol

    Avant le départ, l'équipage a effectué les préparatifs prévol, ce qui lui a permis de remarquer que les conditions météorologiques à St. John's faisaient état de rafales de vent, de crachin et de brouillard.

    En cours de route, l'équipage a obtenu le message Oscar du service automatique d'information de région terminale (ATIS) et a consulté le tableau des performances à l'atterrissage de l'aéronef (annexe B). Par la suite, l'équipage de conduite a décidé de faire une approche de la piste 11, à l'aide du système d'atterrissage aux instruments (ILS).

    À 8 h 06Note de bas de page 1, l'aéronef était sur les trajectoires de descente et d'alignement de la piste 11. Environ 2 minutes plus tard, l'équipage a commencé à voir la piste à travers une pluie de faible intensité et les essuie-glaces ont été mis en marche. L'aéronef a poursuivi la trajectoire de descente et s'est posé à 8 h 09, à une distance du seuil de la piste d'environ 1850 piedsNote de bas de page 2, à une vitesse de 157 à 162Note de bas de page 3 nœuds.

    Approximativement 1 seconde après le toucher des roues, les déporteurs (aérofreins) ont été déployés manuellement. L'inverseur de poussée a été appliqué à partir d'environ 7 secondes après le toucher des roues jusqu'à environ 16 secondes après le toucher. Les freins ont été serrés à fond environ 8 secondes après le toucher, et, presque immédiatement, l'équipage s'est rendu compte que l'aéronef dérapait. L'aéronef a dérapé vers la gauche de l'axe de la piste quelque 9 secondes plus tard, à environ 5500 pieds du seuil.

    L'aéronef ne ralentissait pas comme prévu et l'équipage a déterminé qu'il ne s'immobiliserait pas sur la longueur de piste restante. L'équipage a avisé le contrôleur de la tour de NAV CANADA que l'aéronef allait sortir en bout de piste. Le contrôleur de la tour a déclenché l'alarme d'écrasement pour avertir les services de sauvetage et de lutte contre les incendies d'aéronefs.

    L'aéronef est resté à gauche de l'axe de la piste sur approximativement 2500 pieds, puis il est rapidement traversé à droite, à environ 400 pieds de l'extrémité de la surface en dur. L'équipage a été incapable d'arrêter l'aéronef, qui a quitté la surface revêtue, avec le nez effectuant un mouvement de lacet d'environ 13° vers la gauche à approximativement 40 nœuds. L'aéronef s'est immobilisé dans le gazon et la boue, le nez à environ 60 pieds à gauche du prolongement de l'axe de la piste sur un cap magnétique de 098°, quelque 48 secondes après s'être posé sur la piste 11 (photo 1). Le freinage manuel maximal a été maintenu pendant toute la course à l'atterrissage.

    Photo 1. C-GKFJ dans l'aire de dépassement
    Image
    C-GKFJ dans l'aire de dépassement

    Une fois que l'aéronef s'est immobilisé, l'équipage a tiré les disjoncteurs de l'enregistreur de données de vol (FDR) et de l'enregistreur de la parole dans le poste de pilotage (CVR) afin de préserver les renseignements qu'ils contenaient. L'équipage est sorti de l'aéronef à l'aide d'un véhicule d'entretien de l'entreprise muni d'une plate-forme de travail.

    Les services de sauvetage et de lutte contre les incendies d'aéronefs de St. John's sont arrivés sur les lieux environ 3 minutes après le déclenchement de l'alarme. Les pompiers ont confirmé que les 4 freins étaient tous chauds au moyen d'une caméra à imagerie thermique montée sur le véhicule de secours et d'un thermomètre thermique portatif. Par mesure de précaution, ils ont pulvérisé de la mousse sur les roues du train principal et l'ensemble de freinage. Environ 15 minutes après avoir pulvérisé la mousse, les pompiers ont vérifié la température de chacun des freins et ils ont noté qu'elle était, dans tous les cas, d'environ 200 °F.

    1.2 Blessés/tués

    There were no injuries.

    1.3 Dommages à l'aéronef

    Les trappes du train principal, les carénages inférieurs, la surface inférieure des volets intérieurs arrière et la partie inférieure du fuselage arrière présentaient de multiples déformations et plusieurs perforations attribuables aux débris projetés vers l'arrière par les pneus du train principal lorsque l'aéronef a quitté la surface de la piste. L'entrée d'air du réacteur numéro 1 était recouverte de boue desséchée et le compresseur basse pression avait été endommagé par l'ingestion de débris. Il y avait de la saleté et des pierres dans les 4 freins, et la périphérie des 4 pneus du train principal présentait de multiples coupures, éraflures et bouts de caoutchouc dévulcanisé. En outre, les 2 pneus intérieurs présentaient d'importants méplats où le caoutchouc des pneus avait fondu. Pendant que l'aéronef traversait l'aire de dépassement de piste, les 2 pneus intérieurs ont éclaté à ces méplats. L'aéronef s'est immobilisé avec les 2 méplats contre le sol.

    1.4 Autres dommages

    De nombreux fragments de caoutchouc dévulcanisé ont été récupérés à divers endroits le long de la piste, à partir d'un lieu situé juste au-delà du point de toucher des roues jusqu'à l'extrémité de la piste, principalement à gauche de l'axe de piste. Après avoir dépassé le bout de la piste, l'aéronef est entré en contact avec 2 feux d'extrémité de piste et a ensuite heurté des feux dans chacune des 3 rangées de feux d'approche suivantes. De plus, un boîtier électrique au sol a été détruit et son câblage intérieur a été endommagé par le pneu intérieur droit de l'aéronef.

    Les 2 pneus intérieurs ont fait de l'aquaplanage, comme en témoignent les marques de chauffage à la vapeur, juste avant qu'ils quittent la piste. On a observé des débris de caoutchouc, caractéristiques à un dérapage de pneus, sur la partie pavée de l'extrémité de piste, et les traces laissées par les 2 pneus intérieurs à travers l'aire de dépassement comportaient plusieurs roches éraflées, incrustées de résidus de caoutchouc et de débris de caoutchouc. En outre, des plaques de gazon étaient déchirées à de nombreux endroits, et le gazon était aplati le long du tracé. Le gazon dans le tracé des 2 pneus extérieurs était resté intactet les plaques de gazon étaient moins endommagées.

    1.5 Renseignements sur le personnel

    1.5.1 Membres d'équipage

    Les dossiers indiquent que l'équipage possédait les licences et les qualifications nécessaires pour effectuer le vol, conformément à la réglementation en vigueur.

    Commandant de bord Premier officier Second officier
    Licence ATPL ATPL ATPL
    Date d'expiration du certificat médical 2012/03/01 2011/11/01 2012/02/01
    Heures de vol totales 8688 2750 3400
    Heures de vol sur type 6171 2500 2000
    Heures libres avant le début de la période de travail 36 18 23.5

    Le commandant de bord occupait le siège gauche et était le pilote aux commandes. Rien n'indique qu'une incapacité ou des facteurs physiologiques auraient pu nuire au rendement de l'équipage. L'enquête a permis de déterminer que la fatigue n'a pas été un facteur dans cet événement.

    L'équipage s'était déjà rendu à St. John's à plusieurs reprises.

    1.6 Renseignements sur l'aéronef

    Constructeur Boeing
    Type et modèle 727-281
    Année de construction 1978
    Numéro de série 21455
    Certificat de navigabilité délivré le 15 avril 2009
    Total des heures / Cycles de la cellule 46 035,3 heures / 42 927 cycles
    Type de moteur (nombre) Pratt & Whitney JT8D-17 (3)
    Masse maximale autorisée au décollage 194 800 livresNote de bas de page 4
    Masse maximale au roulage 195 500 livres

    Les dossiers indiquent que l'aéronef était homologué et entretenu conformément à la réglementation en vigueur et aux procédures approuvées, et qu'aucune déficience n'a été signalée avant le vol menant à l'événement. La roue 1 du train principal (numéro de pièce 10-61287-14) ne figurait pas dans la liste des roues de train d'atterrissage principal approuvées pour les aéronefs à une masse maximale au roulage jusqu'à 195 500 livres du certificat de type supplémentaire (STC) 00925ATNote de bas de page 5.

    Le train d'atterrissage de l'aéronef se compose de 2 trains d'atterrissage principaux à roues jumelées ainsi que d'un train avant à roues jumelées. Chaque train est doté de freins hydrauliques à disques multiples. Le circuit de freinage hydraulique est le circuit de freinage normal, et il est commandé au moyen des pédales de palonnier du commandant de bord et du premier officier.

    L'aéronef était équipé d'un enregistreur de données de vol à semi-conducteurs Allied Signal (numéro de pièce 980-4120-RXUS, numéro de série 4698) et d'un enregistreur de la parole dans le poste de pilotage  à semi-conducteurs Fairchild (modèle A100A, numéro de série 10060).

    L'entretien de l'aéronef de Kelowna Flightcraft Air Charter Ltd. (KFACL) revient à Kelowna Flightcraft Ltd. (KFL). Ces 2 sociétés font partie du groupe Kelowna Flightcraft.

    1.6.1 Pneus du train principal

    L'équipage a commencé sa journée de vol à Hamilton (Ontario) avec des escales prévues à Mirabel (Québec) et Moncton (Nouveau-Brunswick). À Hamilton, et encore à Mirabel, après la vérification extérieure de l'aéronef avant le vol, le second officier a informé le commandant de bord que la bande de roulement des pneus semblait mince et que 2 pneus étaient presque lisses. Dans les 2 cas, le personnel d'entretien de KFL a avisé l'équipage que les pneus étaient en bon état de service. En conséquence, ni l'équipage ni le personnel d'entretien n'ont signalé l'état de la bande de roulement des pneus comme risque potentiel pour la sécurité dans le système de gestion des risques (SGR) de l'entreprise.

    Selon le manuel d'entretien du Boeing 727 et la vérification d'inspection générale des roues et des pneus de KFL, les pneus doivent être retirés du service lorsque la profondeur moyenne de la bande de roulement est réduite à 0,031 pouce (1/32 pouce), que la nappe de carcasse de la bande de roulement (pneu diagonal) est visible où que ce soit ou que la nappe de renforcement de la bande de roulement est visible où que ce soit. Le bulletin d'information technique ALL 03 04Note de bas de page 6 de KFL précise qu'un pneu ne doit PAS être remplacé avant d'atteindre ces limites à moins que les besoins opérationnels ne le permettent pas (c.-à-d. lorsque l'aéronef est exploité ailleurs qu'à sa base).

    Photo 2. Rainures des pneus
    Image
    Tire groove indication

    L'enquête a déterminé que mesurer la profondeur de la bande de roulement n'était pas pratique courante aux bases de maintenance de KFLNote de bas de page 7. Tant que la bande de roulement d'un pneu est visible, celui-ci est généralement considéré en bon état de service. La pratique selon laquelle les pneus d'aéronef dans cet état sont autorisés était considérée comme normale et par conséquent, ils n'étaient pas signalés comme problème de sécurité potentiel dans le SGR de l'entreprise.

    Le BST a mesuré la profondeur de la bande de roulement qui restait à chacune des rainures périphériques des pneusNote de bas de page 8 (photo 2). Pour déterminer la profondeur moyenne de la bande de roulement, on a fait la somme des mesures prises à intervalles de 12 pouces et on l'a divisée par le nombre de mesures prises (tableau 1). La profondeur de la bande de roulement des pneus 3 et 4 était inférieure à la limite spécifiée par Boeing.

    L'aéronef était muni de pneus à 30 plis d'une dimension de 50 sur 21.Note de bas de page 9 La pression des pneus nos 1 et 4 de train d'atterrissage principal a été mesurée le jour après l'événement et elle était de 165 livres par pouce carré (lb/po²) et 177 lb/po², respectivement. La pression mesurée était en deçà des limites acceptables de 170 lb/po² +/− 5 %.

    Tableau 1. Profondeur moyenne de la bande de roulement des pneus
    Rainure Pneu 1 Pneu 2 Pneu 3 Pneu 4
    Min Max Moy Min Max Moy Min Max Moy Min Max Moy
    B 0,173 0,252 0,210 0,225 0,255 0,240 0,119 0,162 0,142 0,109 0,136 0,125
    C 0,106 0,172 0,150 0,010 0,120 0,050 0,002 0,027 0,018 0,000 0,065 0,012
    D 0,124 0,175 0,153 0,008 0,125 0,060 0,004 0,065 0,034 0,000 0,042 0,009
    E 0,143 0,174 0,58 0,150 0,200 0,175 0,153 0,183 0,168 0,132 0,184 0,150

    1.6.2 Configuration de l'antipatinage MK III

    L'aéronef en question était doté d'un dispositif antipatinage MK III de Boeing qui empêche chaque roue de déraper en limitant la pression hydraulique appliquée sur le frein par le circuit hydrauliqueNote de bas de page 10. Le pilote applique la pression par l'intermédiaire des pédales de frein. Des robinets d'antidérapage, qui fonctionnent indépendamment l'un de l'autre, font continuellement varier la pression de freinage conformément aux signaux reçus du module de contrôle antidérapage.

    La vitesse de décélération de chaque roue est comparée à une vitesse prédéfinie. Lorsque les décélérations respectent cette vitesse, aucun signal correcteur n'est transmis. Les décélérations supérieures à cette vitesse (chute de vitesse de rotation des roues) sont traitées comme des dérapages et un signal correcteur est transmis au robinet d'antidérapage pour relâcher la pression de freinage appliquée. Le signal correcteur est réduit lorsque la vitesse de décélération de la roue revient à la valeur appropriée. Le dispositif antipatinage cherche continuellement un niveau de serrage des freins permettant d'obtenir une efficacité de freinage maximale.

    Le dispositif antipatinage incorpore un circuit de détection de blocage des roues qui fournit un signal de desserrage complet des freins en cas de blocage d'une roue. Le circuit régit la paire de roues intérieure ou extérieure du train principal. Il est conçu de façon à ce que pendant un atterrissage avec levier de train d'atterrissage abaissé avant le toucher des roues, les freins soient desserrés, peu importe la pression de freinage exercée par le pilote.

    Lorsque la vitesse de rotation des 2 roues d'une paire atteint 20 mi/h, le dispositif de freinage antipatinage est disponible. Si la vitesse de rotation d'une des roues d'une paire descend sous 10 mi/h et que celle de l'autre reste ou est supérieure à 20 mi/h, un signal de desserrage complet des freins est envoyé au robinet de contrôle antidérapage; la pression de freinage exercée sur la paire de roues est alors relâchée afin que le dispositif antipatinage demeure disponible.

    1.6.3 Système antipatinage de l'aéronef en cause

    Après l'atterrissage à Montréal, on a constaté que le frein 4 était plus chaud que les 3 autres freins. À Moncton, on a constaté que le frein 1 était plus chaud que les 3 autres freins et que la température de ceux-ci était presque semblable.

    Avant de remettre l'aéronef en cause en service après la sortie de piste, le personnel d'entretien de KFL a remplacé les 4 ensembles freins et roues du train principal et a ensuite effectué un essai antipatinage. Pendant l'essai, on a constaté qu'avec les pédales de frein enfoncées, le frein 4 n'était pas activé. En outre, lorsque l'essai de la fonction de blocage de roue a été effectué avec le commutateur de sélection en position extérieur gauche (LO), le compteur n'a pas répondu correctement. Le service de maintenance a déterminé que le module de contrôle antidérapage était inutilisable. Le module a été remplacé et tous les essais ont été effectués sans problème.

    Le module de contrôle antidérapage a été envoyé au Laboratoire du BST aux fins de mise à l'essai et d'examen plus approfondis. Des essais au banc ont permis de déterminer qu'une carte de circuit imprimé de la roue 4 du train principal était défectueuse. La nature de la défaillance était que le module de contrôle envoyait continuellement à l'unité de commande de freinage 4 un signal de relâchement de la pression de freinage. Ce type de défaillance est rare. Un examen visuel de la carte de circuit imprimé défaillante n'a pas révélé d'irrégularités telles que des composants ou des joints brasés bridés, ce qui indique qu'il s'agissait vraisemblablement de l'endommagement interne d'un composant. Le dispositif antipatinage est conçu de sorte que ce type de défaillance n'aurait pas causé l'allumage du voyant jaune de dispositif d'antidérapage extérieur inopérant (INOP), situé dans le panneau supérieur du pilote.

    1.6.4 Refroidissement des freins

    Lorsque l'aéronef a quitté Moncton, l'équipage a laissé le train d'atterrissage sorti pendant 5 minutes pour aider au refroidissement des freins.

    En juin 2011, KFACL avait émis à l'intention de tous les pilotes de Boeing 727 une note de service leur demandant de passer en revue les procédures d'utilisation et de refroidissement des freins. La note indiquait:

    Nous constatons davantage d'activités à des masses à l'atterrissage plus élevées, ce qui a entraîné une augmentation de cas de déclenchement des bouchons fusibles sur les ensembles de train principal des Boeing 727, accompagnés de retards pour les clients et de coûts d'entretien accrus.

    J'aimerais aussi rappeler aux équipages qu'un freinage léger ne permet habituellement pas de prendre une voie de sortie de piste à 6000 pi sur une piste de 12 000 pi et qu'il est préférable et plus sécuritaire de rouler plus loin jusqu'à un autre point de sortie de piste.

    La note de service demandait aux pilotes de se soucier de la sécurité et d'utiliser la piste disponible avant de serrer les freins.

    La note de service informait aussi les pilotes que le personnel d'entretien leur fournirait la température des roues/freins et elle demandait aux pilotes de consulter le Manuel d'exploitation du Boeing 727 et de consulter le tableau de refroidissement des freins pour déterminer un temps de refroidissement des freins de parc. Si l'aéronef devait partir avant que le temps de refroidissement des freins établi soit écoulé, KFL permettait alors à l'aéronef de décoller si la température des roues était de 225 °F ou moins et que l'on observait une période de refroidissement de 5 minutes avec le train sorti en vol.

    Le schéma de refroidissement des freins fournit des limites de temps de refroidissement précises ou d'autres temps de refroidissement avec le train sorti, en fonction d'un certain nombre de caractéristiques d'atterrissage telles que la masse brute, la vitesse à laquelle les freins sont serrés, la température extérieure ambiante et l'effort de freinage (léger, moyen, important). Le schéma de refroidissement ne fait pas référence à la température des freins ou des roues.

    Le 20 juin 2011, KFL a diffusé, à l'intention des bases de maintenance en ligne, une note de service distincte donnant des directives sur les mesures qui doivent être prises concernant les roues et freins chauds. La note de service donnait des directives quant à la façon de prendre la température et l'endroit où le faire; cependant, aucun avis technique n'a été diffusé et aucune instruction n'a été publiée. En conséquence, il n'y avait pas de directives de travail détaillées, telles que l'endroit précis où prendre la température, le nombre d'endroits différents ou la distance de la roue ou du frein à laquelle l'équipement de mesure de température (thermomètres à infrarouges) doit se trouver. Les thermomètres à infrarouges ont été achetés localement et n'étaient pas étalonnés pour garantir que les lectures étaient précises et fidèles, et il n'existait aucune obligation de consigner les températures de roue ou de frein prises. La note de service donnait des directives sur les mesures à prendre lorsque l'on détermine que les freins sont chauds, y compris toutes les pratiques sécuritaires qui peuvent être utilisées pour abaisser ces températures.

    Ces 2 notes de service précisaient que le déclenchement de bouchons fusibles constituait un problème qu'il fallait régler; les risques associés avaient fait l'objet d'une évaluation informelle et des procédures d'atténuation avaient été recommandées.

    La pratique courante employée pour refroidir les freins consistait à desserrer le frein de parc et à caler les pneus. Cependant, à certaines des bases en ligne, le personnel d'entretien avait adopté une pratique locale consistant à vaporiser de l'eau sur la roue pour aider au refroidissement. Cette méthode n'était pas mentionnée dans la note de service et n'était pas non plus une pratique courante approuvée du fabricant. Elle était employée comme moyen de s'assurer que la température des freins se situait à l'intérieur des limites permises au départ. Le fait que cette pratique locale avait été adoptée n'a pas été désigné comme un danger potentiel en matière de sécurité devant faire l'objet d'une évaluation plus détaillée par le SGR de l'entreprise.

    Dans l'avis de maintenance 727 MT 32-006 de Boeing du 18 juillet 2005, il est précisé ce qui suit : (Traduction libre)

    Boeing ne recommande pas l'utilisation d'eau ou de liquide pour refroidir les roues, les pneus ou les freins en aucun temps, sauf indication contraire au chapitre 5 du Manuel d'entretien de l'aéronef à la suite d'un arrêt brutal et uniquement après avoir permis aux composantes de refroidir « naturellement » pendant au moins 1 heure. Cette attente de 1 heure permet aux bouchons fusibles thermiques des roues de relâcher la pression des pneus en toute sécurité (si les énergies sont suffisamment élevées) et permet à l'équipement des roues, des pneus et des freins de commencer à refroidir (le personnel d'entretien doit continuer à faire attention lorsqu'il approche ou travaille près des roues, des pneus et des freins chauds).

    Les exploitants, plus particulièrement ceux qui effectuent de nombreux vols avec le même aéronef chaque jour, qui ont de très courts temps d'escale ou qui atterrissent à des aéroports à haute altitude où il fait chaud, pourraient trouver avantageux de « gérer » plus activement leur absorption d'énergie de freinage et la température des freins qui en résulte.

    Boeing encourage les exploitants à « gérer » la température des freins dans la mesure du possible afin de pouvoir réduire au minimum le refroidissement à l'air libre au sol. Un article dans Boeing Airliner intitulé « A Look at Brake Cooling », publié en juillet 1979, présente une bonne discussion sur l'accumulation d'énergie de freinage.

    Boeing recommande au personnel de maintenance, d'ingénierie et des opérations aériennes de passer en revue cet article dans Airliner et la discussion dans le présent conseil de maintenance (MT), surtout dans des situations de température de freins élevée.

    Chaque roue du train principal est munie d'un bouchon fusible thermique qui fond si la température de la roue augmente trop. Le bouchon fusible assure une protection contre les dégagements explosifs d'azote des pneus. Certains des dangers associés aux températures de frein élevées pourraient inclure les incendies de frein/roue, une défaillance du pneu ou de la roue pendant le roulage ou au décollage et la mise en œuvre d'une procédure de décollage anormale dans laquelle le train est sorti pour le refroidissement des freins. Chacun d'eux comporte aussi ses propres risques particuliers, par exemple : l'éclatement du bouchon fusible fait que le pneu se dégonfle. Si cela devait se produire pendant le roulage, il se pourrait que le pneu soit endommagé et laisse des débris sur la piste, ce qui présenterait un danger pour les autres aéronefs. Si le bouchon fusible éclate pendant ou après le décollage, l'aéronef devrait, à tout le moins, atterrir avec un pneu à plat, ce qui réduirait l'efficacité de freinage et par conséquent augmenterait la distance d'atterrissage et forcerait l'autre pneu de la paire à porter un poids plus grand.

    Le déclenchement de bouchons fusibles n'est pas considéré comme de l'usure normale. Selon les procédures de KFL, cela devrait être signalé par l'intermédiaire du système de gestion des risques (SGR) de l'entreprise. Du 1er janvier 2009 au 16 juillet 2011, 2 rapports du SGR étaient liés au déclenchement de bouchons fusibles. En août 2011, KFL a effectué une revue de la fiabilité pour la période de janvier à août 2011 qui a permis de relever 7 autres cas uniques de déclenchement de bouchons fusibles qui avaient été signalés par l'intermédiaire de différentes procédures de maintenance, mais pas par le SGR.

    1.7 Renseignements météorologiques

    Message Oscar de l'ATIS émis à 7 h 30 :

    Vent de surface du 210 °magnétique (M) à 14 nœuds avec rafales à 21 nœuds, visibilité de 2 milles terrestres (sm) dans de la pluie légère et de la brume, couvert nuageux à 500 pieds au-dessus du sol (agl), température de 17 °C, point de rosée de 15 °C, calage altimétrique de 29,91 pouces de mercure (po Hg), approche ILS piste 16, atterrissages et départs piste 16.

    L'enquête a déterminé de 2 sources indépendantes qu'il était tombé 0,3 mm (0,012 pouce) de pluie entre 8 h et 8 h 15. Au cours des 45 minutes avant cela, ces 2 sources ont enregistré 1,3 et 1,0 mm (0,05 et 0,04 pouce) de pluie respectivement.

    Des renseignements météorologiques exacts et fournis en temps opportun aident les équipages à déterminer si l'aéroport convient et quelles sont les performances d'atterrissage.

    Aux stations desservies par un système automatisé d'observations météorologiques, un bulletin spécial est émis lorsque de la pluie forte débute ou cesse. Toutefois, dans les stations où se trouvent des observateurs qualifiés responsables des bulletins météorologiques, comme c'est le cas à St. John's, il n'existe aucune exigence similaire dans le Manuel d'observations météorologiques de surface (MANOBS) d'Environnement Canada. Il n'existe aucune exigence similaire dans le Manuel des opérations du contrôle de la circulation aérienne (MANOPS ATC) de NAV CANADA exigeant des contrôleurs qu'ils avisent un pilote que de la forte pluie commence ou cesse.

    En 2010, NAV CANADA a publié le bulletin de sécurité SQUAWK 7700 - 2010-1 intitulé Accidents à l'atterrissage et sorties de piste, dans lequel on rappelle aux contrôleurs que lorsque les conditions météorologiques sont mauvaises, les pilotes doivent recevoir en temps opportun des renseignements sur l'état de la surface de la piste. À l'aéroport de St. John's, si le personnel sur le terrain remarque la présence d'eau stagnante sur l'aérodrome, il en informera normalement le contrôleur de la tour.

    1.8 Aides à la navigation

    S. o.

    1.9 Communications

    S. o.

    1.10 Renseignements sur l'aérodrome

    1.10.1 Généralités

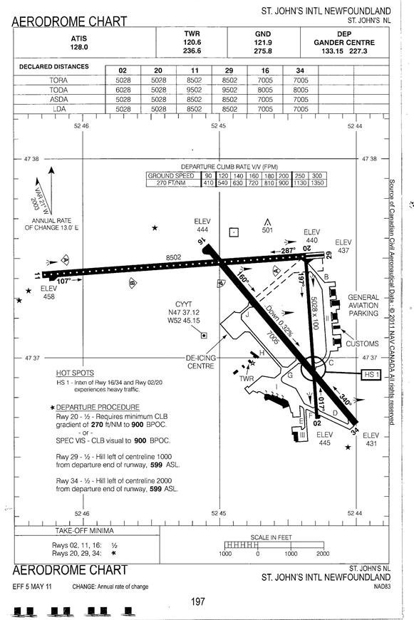
    L'aéroport de St. John's compte 3 pistes à surface asphaltée (annexe C – Carte de l'aérodrome). La piste 11/29 mesure 8502 pieds de long et 200 pieds de large et la piste 11 présente une pente descendante de 0,27 %. La piste 16/34 mesure 7005 pieds de long et 200 pieds de large. Les 2 pistes sont desservies par une approche de précision à l'ILS. La piste 11 a une bande d'extrémité de piste non asphaltée de 60 mètres. La piste 20/02 mesure 5028 pieds de long et 100 pieds de large. Aucune des pistes à l'aéroport de St. John's ne possède une surface rainurée ou une aire de sécurité d'extrémité de piste (RESA), ce qui ne contrevient toutefois pas à la réglementation.

    La piste 11/29 a une pente transversale descendante du sud au nord, et la direction du vent au moment de l'amerrissage aurait aidé à l'évacuation de l'eau.

    À partir du 1er janvier 2008, tous les aéroports du groupe 1 au Canada, y compris l'aéroport de St. John's, devaient commencer la mise en œuvre de systèmes de gestion de la sécurité (SGS). Au moment de l'événement, l'Administration de l'aéroport international de St. John's avait terminé la mise en œuvre des exigences de la phase IVNote de bas de page 11 de la mise en œuvre d'un SGS. Cependant, le programme de SGS n'avait pas encore été soumis à l'inspection de validation de programme finale de Transports Canada.

    1.10.2 Choix de la piste

    La piste 16 était la piste en service et, avec la direction et la vitesse du vent, l'aéronef aurait eu une composante vent de face de 11 nœuds et de travers de 8 nœuds. L'atterrissage sur la piste 11 a fait que l'aéronef avait une composante de vent arrière de 3 nœuds et de travers de 14 nœuds. Selon la masse et la configuration de l'aéronef à l'atterrissage, les tableaux des performances à l'atterrissage de l'aéronef indiquaient que l'une ou l'autre des pistes convenaient.

    Le commandant de bord s'inquiétait du fait que l'aéronef pourrait traverser des turbulences durant l'approche de la piste 16 et, pour cette raison, a décidé d'atterrir sur la piste 11, plus longue.

    Les documents de consommation réelle de carburant et de masse et de centrage remplis par l'équipage pour le dernier tronçon n'ont pas été retrouvés après l'événement. En conséquence, selon les calculs de la régulation des vols de la compagnie fournis à l'équipage et le carburant à l'atterrissage, on a établi que la masse était d'environ 158 000 livres. Les enquêteurs du BST ont calculé la distance d'atterrissage à partir des caractéristiques de masse et de performance de l'aéronef en cause. On a établi qu'en fonction de la vitesse désirée (Rubrique 1.17.3 Procédures normales d'exploitation Boeing de KFACL), la distance d'atterrissage sur piste mouilléeNote de bas de page 12 serait de 5100 pieds. Cette distance correspond à la distance de freinage totale sur piste mouillée calculée par BoeingNote de bas de page 13 pour un appareil de la série 727-200 de Boeing de cette masse en configuration standard et avec volets sortis à 30°. Selon la vitesse d'atterrissage maximale calculée par la BST (162 nœuds), l'aéronef aurait eu besoin de 500 pieds de piste de plus comme distance d'atterrissage. Même avec une distance d'atterrissage de 5600 pieds, cela lui aurait donné une zone tampon d'environ 1000 pieds si le point d'atterrissage est à 1850 pieds.

    1.10.3 Frottement sur piste

    Au fil du temps, les caractéristiques de frottement du revêtement d'une piste se détériorent à cause de nombreux facteurs, notamment l'usure mécanique, l'action de polissage des pneus des aéronefs roulant ou freinant sur la surface de la piste ainsi que l'accumulation de contaminants, principalement du caoutchouc de pneus d'aéronefs, sur la surface de la piste. La mesure des coefficients de frottement sur piste vise à détecter la détérioration des caractéristiques de frottement et à déterminer le besoin et le moment opportun de mesures correctives pour ramener le frottement à un niveau acceptable.

    Transports Canada (TC) oblige les exploitants d'aéroport à mesurer périodiquement les caractéristiques de frottement de la surface des pistes. Transports Canada laisse aux exploitants d'aéroport le soin d'effectuer leurs propres essais de frottement sur piste et d'établir la fréquence des essais en fonction de l'histoire et des circonstances uniques de leur emplacement.

    Transports Canada exige que l'essai de la surface des pistes soit effectué au moyen d'un véhicule de mesure du coefficient de frottement à une vitesse de 65 km/h en mode automouillant avec une couche d'eau de 0,5 mm. L'OACI et la FAA mentionnent une couche d'eau de 1,0 mm pour les essaisNote de bas de page 14. En 1995, TC a effectué un test de contrôle de frottement sur piste pour comparer les niveaux du coefficient de frottement (en unités de 0 à 100) mesurés avec des couches d'eau de 0,5 mm et 1,0 mmNote de bas de page 15. L'essai a permis de conclure ce qui suit :

    Une augmentation de la couche d'eau à 1,0 mm augmenterait le temps d'essai requis à chaque aéroport parce qu'il faudrait aller et venir plus souvent en piste pour remplir le réservoir d'eau. Le coût du programme et les perturbations opérationnelles aux aéroports augmenteraient également. En raison de cela et du fait qu'une couche d'eau de 1,0 mm n'abaisserait le frottement que de 2 ou 3 unités, il est recommandé que Transports Canada maintienne la pratique actuelle consistant à utiliser une couche d'eau de 0,5 mm dans le cadre des essais de frottement pour simuler une piste « mouillée normale ».

    L'essai de frottement sur piste à l'aéroport de St. John's a été effectué en octobre 2010 par un entrepreneur indépendant. Les valeurs moyennes des coefficients de frottement sur piste pour l'essai, effectué conformément aux exigences de TC, variaient de 0,70 à 0,87. Ces résultats étaient bien au-dessus du niveau de planification d'entretien fixé par TC, soit un coefficient de 0,60, et étaient comparables ou légèrement inférieurs à ceux enregistrés lors des essais d'octobre 2009. En octobre 2011, un essai de frottement sur piste a été effectué et les valeurs moyennes des coefficients de frottement sur la piste 11/29 variaient entre une valeur située juste au-dessus et une valeur située bien au-dessus du niveau de planification d'entretien fixé par TC. Les niveaux et la configuration de frottement global de cet essai indiquaient une baisse importante sur la piste 11/29 et la piste 16/34. La différence la plus notable a été détectée sur la piste 16 à un décalage de 3 mètres et de 6 mètres.

    Les caractéristiques tant de macro que de microrugosité de la surface d'un revêtement peuvent avoir une incidence considérable sur les valeurs de frottement mesurées. La macrorugosité, qui est la texture grossière produite par les granulats ou par une texture appliquée artificiellement comme le rainurage, fournit des canaux de décharge pour évacuer l'eau en vrac. L'écoulement des eaux à grande échelle par l'intermédiaire de la macrorugosité retarde l'accumulation de pression dynamique fluide (liée à l'aquaplanage) à des vitesses beaucoup plus élevées qu'à celles pour les revêtements sans macrorugosité ou dont la macrorugosité est faible. Un revêtement avec une bonne microrugosité, qui est la texture des pierres individuelles, est le principal moyen de combattre l'aquaplanage visqueux. La microrugosité est difficilement perceptible à l'œil, mais on peut habituellement l'évaluer en touchant la surface. Une bonne microrugosité de revêtement se caractérise par une forte texture rugueuse et granuleuse comme celle du papier abrasif fin. Lorsque les enquêteurs du BST ont examiné la surface de la piste 11, ils l'ont trouvée lisse au toucher sur la majorité de la largeur de la piste.

    Les essais de surface de la piste à 65 km/h permettent de déterminer l'état général de la macrorugosité de la surface du revêtement, et les essais à 95 km/h donnent une indication de l'état de la microrugosité de la surface. La circulaire d'information 150/5320-12C de la Federal Aviation Administration (FAA) et le Manuel des services d'aéroport de l'Organisation de l'aviation civile internationale (OACI) recommandent d'inclure aux relevés complets des pistes des essais tant à 65 km/h qu'à 95 km/h. Transports Canada n'exige pas que l'on effectue des essais de microrugosité et a indiqué ne pas savoir pourquoi on a établi de normes pour les essais à 95 km/h.

    1.11 Enregistreurs de bord

    La norme 625 du Règlement de l'aviation canadien (RAC) exige qu'une vérification de la corrélation soit effectuée afin de s'assurer que l'ensemble des paramètres requis est enregistré et de qualité acceptable. Même si KFL a soumis ses enregistreurs de données de vol (FDR) à des vérifications de la corrélation, elle n'a pas confirmé que les paramètres enregistrés par les FDR sont de qualité acceptable, c.-à-d. un téléchargement des données des FDR pour confirmer l'exactitude des données. Dans le cadre de l'examen par le BST des données du FDR de l'aéronef en cause, on a relevé que certaines données n'étaient pas de qualité acceptable, même si un essai de corrélation avait été effectué antérieurement.

    Le bulletin Sécurité aérienne - Nouvelles TP185 de TC (numéro 3, 2008), Problèmes de données FDR et CVR découverts pendant des enquêtes du BST, précise que les données provenant du contenu des enregistreurs mises à la disposition des enquêteurs après un accident ou un incident risquent de ne pas être aussi lisibles ou, en fin de compte, aussi utiles qu'elles devraient l'être et que les exigences portant sur la maintenance annuelle des CVR et des FDR ne sont pas respectées avec l'uniformité et l'efficacité voulues. Le bulletin donne un bref aperçu de l'objectif et du moyen d'effectuer une vérification de corrélation, notamment:

    La vérification de corrélation du FDR vise à garantir que « tous les paramètres nécessaires sont enregistrés et utilisables ». Ainsi, ce sont les sources de données de l'aéronef, leur interconnexion et l'enregistreur même qui ont une incidence sur l'utilisation que l'on pourra faire des données. De plus, il faut s'assurer que les valeurs lues sur un enregistrement FDR font l'objet d'une corrélation permanente entre les données et les positions connues d'une commande de vol ou de toute autre source de données. […] Cette corrélation est nécessaire pour établir la relation observée entre les lectures faites chaque année et celles réalisées au moment de l'installation des divers capteurs.

    Le bulletin suggère aussi que l'exploitant ou la personne chargée de la maintenance réexamine les derniers résultats de ses CVR et FDR. Si ces résultats ne sont pas disponibles ou renferment des anomalies, comme des canaux de CVR peu clairs ou des paramètres de FDR non fonctionnels, il faut alors s'assurer que le CVR et le FDR respectent les exigences du RAC en repérant ces résultats ou en procédant à un nouvel essai.

    Le BST avait exprimé des préoccupations liées à la qualité des données de FDR antérieurement dans le cadre d'autres événements, notamment dans le rapport A04A0110. Dans ce cas, le BST avait mentionné le fait établi suivant quant aux risques:

    La partie enregistreur des données de vol (FDR) de l'enregistreur de conversations dans le poste de pilotage combiné à l'enregistreur des données de vol (CVFDR) n'avait pas été vérifiée conformément à la réglementation et, de ce fait, une mauvaise qualité des données n'a pas permis de déterminer certains paramètres de l'enregistreur.

    1.12 Renseignements sur l'épave et sur l'impact

    Consulter les rubriques 1.3 Dommages à l'aéronef et 1.4 Autres dommages.

    1.13 Renseignements médicaux et pathologiques

    S. o.

    1.14 Incendie

    S. o.

    1.15 Questions relatives à la survie des occupants

    S. o.

    1.16 Essais et recherches

    S. o.

    1.17 Renseignements sur les organismes et sur la gestion

    1.17.1 Opérations de la compagnie

    Le groupe Kelowna Flightcraft a été fondé en 1970 et est actuellement constitué de KFACL, de KFL et de la filiale Allied Wings. Le siège social de la société est à Kelowna (Colombie-Britannique). KFACL est le transporteur aérien de fret exclusif de Purolator Courier Ltd. Son parc aérien est constitué de Convair CV580, de B727-200 de Boeing, de DC10-30F de McDonnell Douglas et d'Astra 1125 d'Israel Aircraft Industries. KFACL est un transporteur aérien en conformité avec la sous-partie 705 du RAC et compte plus de 135 employés dédiés à l'exploitation aérienne. KFL est un organisme de maintenance d'aéronefs agréé qui exploite 2 installations de maintenance, de réparation et de révision à Kelowna et à Hamilton (Ontario). Ces installations comptent environ 750 employés qui entretiennent, modifient et mettent au point des aéronefs et des composants. Allied Wings gère le forfait d'entraînement au vol et de soutien des Forces canadiennes en vertu d'un contrat avec le gouvernement du Canada. L'installation, le Centre d'instruction en aviation d'Ailes Canada, est situé près de Winnipeg (Manitoba).

    1.17.2 Données de performance de l'aéronef

    KFACL fournit à Aircraft Performance Group Inc. (APG) les données de performance d'aéronef pour ses aéronefs. APG produit un tableau des performances à l'atterrissage propres à l'aéronef qui indique la masse maximale permise à l'atterrissage sur une piste particulière et le fournit à KFACL (annexe B – Performance à l'atterrissage). Les tableaux des performances à l'atterrissage tiennent compte des vents, du fait que le système antipatinage soit activé ou non, du fonctionnement automatique ou manuel des déporteurs ainsi que de la sélection de l'antigivrage des moteurs et de la voilure. On ne peut pas établir de distance d'atterrissage au moyen de ce tableau. Les tableaux des performances à l'atterrissage pour toutes les destinations de la compagnie sont conservés à bord de chacun des aéronefs de KFACL.

    La distance d'atterrissage peut être déterminée au moyen d'une fiche de consultation rapide ou du Manuel de performances du B727 à la disposition des pilotes dans le poste de pilotage.

    1.17.3 Procédures normales d'exploitation Boeing de KFACL

    La page Boeing 727-200 Performance-JT8DT-17Note de bas de page 16 (annexe D - Performance) indique une vitesse de référence (Vref) d'approche et d'atterrissage en fonction de la masse à l'atterrissage et du fait que les volets sont sortis à 40°. Si les volets sont sortis à 30°, il faut alors ajouter 4 nœuds à la valeur indiquée. KFACL appelle la Vref la vitesse curseur.

    La vitesse d'approche recommandée par Boeing est la Vref plus la correction pour le vent : ½ composante vent de face régulier plus la valeur rafales totale jusqu'à un maximum de 20 nœuds. La politique de KFACL pour déterminer la vitesse d'approche et d'atterrissage des aéronefs consiste à utiliser la vitesse la plus élevée : vitesse curseur plus 10 nœuds ou vitesse curseur plus la correction pour le vent. KFACL appelle cette vitesse finale la vitesse désirée. Dans tous les cas, la correction pour les rafales devrait être conservée jusqu'au toucher des roues, tandis que celles pour le vent constant peuvent être éliminées à mesure que le toucher des roues de l'aéronef approche.

    L'équipage a calculé la vitesse désirée pour l'aéronef en cause à 154 nœuds : 136 nœuds (Vref avec volets sortis à 40) plus 4 nœuds (pour les volets sortis à 30) plus 7 nœuds (½ composante vent) plus 7 nœuds (valeur rafales totale).

    1.17.4 Atterrissage sur pistes mouillées ou glissantes

    Le Manuel d'exploitation du Boeing 727 donne aux pilotes des conseils visant à réduire au minimum les exigences d'arrêt après le toucher des roues : (traduction libre)

    • Prévoir un toucher des roues 1000 pieds au-delà de l'extrémité approche de la piste utilisable.
    • Conserver un contrôle étroit sur les vitesses d'approche et maintenir la vitesse recommandée pour les conditions existantes.
    • L'aéronef devrait être plaqué fermement contre la piste au point de visée (1000 pieds), même si la vitesse est trop élevée.
    • Si l'approche est insatisfaisante au point de fort probablement provoquer un toucher des roues loin sur la piste, remettre les gaz et faire une seconde approche.

    Selon le manuel d'exploitation (Boeing Maneuvers Manual) du Boeing 727, un atterrissage normal a une cible de toucher des roues de 1000 pieds avec une zone de poser de 500 à 1500 pieds au-delà du seuilNote de bas de page 17

    En outre, le manuel comprend une section qui traite de vents de travers et de l'utilisation de l'inversion de poussée:

    La force latérale de l'inversion de poussée et un vent de travers peuvent faire dériver un aéronef du côté sous le vent de la piste si l'aéronef subit un effet de girouette dans le vent. Dès que l'aéronef commence à être soumis à l'effet de girouette, la force latérale de l'inversion de poussée s'ajoute au vent de travers et fait dériver l'aéronef du côté sous le vent de la piste. Les forces de virage des pneus du train principal susceptibles de contrer cette dérive sont réduites lorsque le système antidérapage fonctionne à l'efficacité de freinage maximale dans les conditions du moment. Pour corriger et revenir sur l'axe, ramener l'inversion de poussée au ralenti et relâcher les freins.

    Les renseignements susmentionnés sont aussi inclus dans le manuel d'exploitation du Boeing 727 de KFACL.

    1.18 Renseignements supplémentaires

    1.18.1 Aquaplanage

    Ni le volume 1 du manuel d'exploitation du Boeing 727 de KFACL ni le manuel de vol (AFM) du Boeing 727 ne font mention de l'aquaplanage. KFACL se fie au Manuel d'information aéronautique (AIM) de TC pour des directives en matière d'aquaplanage puisqu'elle ne donne pas de formation ou d'instructions particulières à cet égard.

    L'AIM de TC traite des pistes mouillées dans le but d'aider les pilotes à mettre au point des procédures de comportement et pilotage dans de telles conditions. Il traite notamment de la tendance des pneus d'un aéronef à l'aquaplanage sur une piste mouillée et des effets des coefficients de freinage sur les surfaces mouillées. En résumé, il précise que les pilotes devraient donc bien connaître ces phénomènes puisqu'ils ont des répercussions importantes sur les performances de l'aéronef au moment de la course au décollage et à l'atterrissage, même si les conditions de la piste sont les mêmes.

    Selon le manuel d'exploitation du Boeing 727, en cas de dérapage ou de perte de maîtrise en direction, il faut immédiatement desserrer les freins.

    L'aquaplanage survient lorsqu'une pellicule d'eau se trouve entre les pneus de l'aéronef et la surface de la piste, ce qui entraîne une perte de traction et empêche l'aéronef de répondre aux commandes telles que la direction ou le freinage. L'AIM mentionne qu'il est difficile d'évaluer précisément l'augmentation de la distance de freinage qui en résulte, mais selon les estimations, elle peut aller jusqu'à 700 %. Une fois que l'aquaplanage a débuté, il peut persister jusqu'à des vitesses beaucoup plus basses que la vitesse d'aquaplanage initiale minimale. S'il y a aquaplanage, un vent de travers fera simultanément subir à l'aéronef un effet de girouette dans le vent en plus de le faire dériver du côté sous le ventNote de bas de page 18. Une piste et une bande de roulement lisses favorisent l'aquaplanage avec une couche d'eau moins importante.

    L'aquaplanage dynamique, qui peut se produire dans la course à l'atterrissage et au décollage à vitesse élevée, est le résultat de forces hydrodynamiques exercées lorsqu'un pneu roule sur une surface recouverte d'eauNote de bas de page 19. La bande de roulement des pneus, l'épaisseur de la couche d'eau et la macrorugosité de la piste ont une incidence sur l'aquaplanage dynamique. Lorsque la macrorugosité de la surface et la bande de roulement des pneus sont suffisantes, il ne survient habituellement pas d'aquaplanage dynamique total. L'aquaplanage dynamique peut survenir lorsque la couche d'eau est suffisamment épaisse de sorte que la bande de roulement des pneus et la macrorugosité de la piste ensemble ne sont pas en mesure d'évacuer l'eau assez vite. On a constaté qu'une quantité d'eau aussi petite que 0,5 mm suffisait pour causer l'aquaplanage dynamiqueNote de bas de page 20

    Il y a aquaplanage visqueux lorsqu'un pneu est incapable de percer la mince couche d'eau (il suffit d'une couche d'à peine un millième de pouces) sur le revêtement et qu'il roule sur le dessus de l'eau. Cela peut survenir à une vitesse beaucoup plus basse que pour l'aquaplanage dynamique, mais il faut que la surface de la piste soit très lisse, comme si elle avait été polie par la circulation ou autrement. L'aquaplanage visqueux est associé aux pistes humides et mouillées et une fois qu'il est commencé, il peut se poursuivre jusqu'à une très basse vitesse.

    Photo 3. Pneu numéro 2
    Image
    Pneu numéro 2

    Si la demande de freinage est supérieure à la capacité de frottement du pneu ou du revêtement, le pneu perd son adhérence au revêtement et ralentit rapidement jusqu'à ce que la roue soit bloquée. La vitesse d'aquaplanage d'une roue bloquée qui dérape ou de pneus qui ne tournent pas est inférieure à celle de pneus qui tournent. Un blocage prolongé des roues peut entraîner l'aquaplanage attribuable la dévulcanisation du caoutchouc. Un dérapage causé par la dévulcanisation du caoutchouc a les conséquences les plus catastrophiques pour la sécurité opérationnelle d'un aéronef en raison du faible frottement au freinage et du fait que la capacité de virage des pneus tombe à zéro lorsque les roues sont bloquées. L'aquaplanage attribuable à la dévulcanisation du caoutchouc génère suffisamment de chaleur pour produire de la vapeur qui fait fondre (dévulcanise) le caoutchouc et le ramène à son état d'avant-vulcanisation. Seul ce type d'aquaplanage laisse une marque sur la bande de roulement qui ressemble à une brûlure; un bout de caoutchouc dévulcanisé (photo 3).

    Des signes d'aquaplanage attribuables à la dévulcanisation du caoutchouc ont été observés sur les 4 pneus du train principal. De nombreuses marques de chauffage à la vapeur des pneus des 4 roues du train principal ont été observées sur la piste (photo 4), notamment quelque 2000 pieds de marques laissées par les 2 pneus du train d'atterrissage gauche lorsque l'aéronef était à gauche de l'axe de piste.

    Photo 4. Marques de chauffage à la vapeur
    Image
    Marques de chauffage à la vapeur

    Une fois commencé, un dérapage causé par la dévulcanisation du caoutchouc se poursuivra jusqu'à une très basse vitesse, pratiquement jusqu'à ce que l'aéronef finisse sa course.

    Un Boeing 737 qui s'est posé sur la piste 29 environ 15 minutes avant l'aéronef en cause a lui aussi fait de l'aquaplanage causé par la dévulcanisation du caoutchouc dans la mesure où il a fallu remplacer un ensemble roue et pneu du train principal en raison des dommages au pneu. À l'aéroport de St. John's, au cours des 4 dernières années, on a signalé, en plus du présent événement, 8 événements liés à l'aquaplanage à la suite desquels on a trouvé des dépôts de caoutchouc sur la piste, et 3 de ceux-ci mettaient en cause des aéronefs de KFACL. Au cours des 10 dernières années, il y a eu 1 autre sortie de piste à l'aéroport de St. John's mettant en cause un aéronef cargo Boeing 727. L'Administration de l'aéroport de St. John's n'a pas effectué d'évaluation formelle des risques dans le cas des 8 événements d'aquaplanage ou de la présente sortie de piste parce qu'elle ne considère pas que ce nombre est anormal. Il y a eu une évaluation interne des risques (informelle) qui a permis de conclure à ce moment qu'il n'y avait pas d'autre mesure à prendre.

    Après le dépassement de piste, l'Administration de l'aéroport de St. John's a effectué un examen, au moyen des outils du SGS qu'elle avait en place, et a déterminé qu'un programme élargi d'essais de frottement sur piste serait mis en œuvre. Le premier programme élargi a été exécuté en mai 2012. En plus des exigences de TC, le programme annuel d'essais de frottement sur piste de 2012 comprenait des essais de frottement plus exhaustifs, qui consistaient à utiliser les conditions d'essai standard de l'OACI et de la FAA et à augmenter le nombre de passages d'essais longitudinaux à différentes distances décalées de l'axe de piste. L'Administration de l'aéroport de St. John's a aussi effectué des mesures de macrorugositéNote de bas de page 21 sur les pistes 11-29 et 16-34.

    1.18.2 Profondeur de bande de roulement et freinage de l'aéronef

    Lorsque des rainures sont découpées ou moulées dans la bande de roulement d'un pneu pour former la sculpture, la surface de contact actuel du caoutchouc avec le revêtement de l'empreinte du pneu est réduite, ce qui augmente le débit d'eau qui s'écoule de l'empreinteNote de bas de page 22. Cela retarde les effets d'aquaplanage sur des revêtements mouillés ou inondés à des vitesses plus élevées. Une usure excessive de la bande de roulement d'un pneu peut augmenter considérablement le temps nécessaire pour que la rotation des roues reprenne de la vitesse après le desserrage des freins.

    La Goodyear Tire & Rubber Company précise que lorsqu'un pneu d'aéronef est usé jusqu'à la base d'une rainure peu importe à quel endroit ou à une profondeur minimale précisée par le constructeur de l'aéronef, le pneu devrait être retiréNote de bas de page 23. Michelin recommande qu'en l'absence de directives précises du constructeur de l'aéronef, un pneu devrait être retiré du service pour usure, en fonction de l'emplacement où l'usure est la plus rapide, lorsque le niveau d'usure atteint le fond d'une rainure le long de plus de ⅛ de la circonférence de n'importe quelle partie de la bande de roulement ou si la nappe de protection (pneu radial) ou la nappe de renforcement (pneu diagonal) est exposée sur plus de ⅛ de la circonférence à un endroit donnéNote de bas de page 24.

    La National Aeronautics et Space Administration (NASA) a effectué des essais de freinage sur piste mouilléeNote de bas de page 25. Sur piste mouillée, une dégradation graduelle de l'efficacité de freinage a été observée jusqu'à une usure de la bande de roulement des pneus d'environ 80 %; par la suite, les coefficients de frottement sur piste mouillée ont considérablement diminué. On a constaté que l'efficacité de freinage d'un pneu complètement usé, à des vitesses plus élevées, n'est que d'environ la moitié de celle d'un pneu neuf. Selon le manuel d'exploitation (Boeing Maneuvers Manual) du Boeing 727, le coefficient de frottement dépend de l'état des pneus et de la surface de la piste (béton, asphalte, sèche, mouillée ou glacée).

    L'empreinte d'un pneu usé à 95 % ressemblait à celle d'un pneu complètement usé, ce qui indiquait que la déformation du pneu avait eu pour effet d'éliminer les rainures à cette usureNote de bas de page 26. En conséquence, l'incidence sur la performance de freinage de l'usure de la bande de roulement d'un pneu ne peut pas être évaluée à l'œil nu, puisque la sculpture de la bande de roulement d'un pneu usé à 95 % est continue, tandis que le pneu se comporte beaucoup plus comme un pneu lisse pendant le freinage.

    Photo 5. Pneus nos 3 et 4
    Image
    Pneus n<sup>o</sup>s 3 et 4

    Le BST a calculé l'usure, en fonction d'une profondeur initiale de bande de rechapage de 0,43 pouce et la profondeur moyenne de la bande de roulement qui restait, que l'usure des pneus 1 et 2 de l'aéronef en cause était d'environ 65 % et 90 %, respectivement, et que les pneus 3 et 4 étaient usés à plus de 95 % (photo 5).

    1.18.3 Sécurité des pistes

    En mars 2010, puis à nouveau en juin 2012, le BST a publié sa Liste de surveillance, qui comprend les enjeux de sécurité sur lesquels il a enquêté et qui posent les plus grands risques pour les Canadiens. Les accidents à l'atterrissage et les sorties en bout de piste constituaient un des problèmes de sécurité mentionnés. Pour combattre le risque de sortie en bout de piste, la Liste de surveillance du BST soulignait l'importance de fournir au moment opportun des renseignements sur l'état de la surface des pistes et de prévoir une aire de sécurité suffisante au-delà de l'extrémité d'une piste.

    La publication technique de TC intitulée Aérodromes - Normes et pratiques recommandées (TP 312F) définit de la manière suivante une aire de sécurité d'extrémité de piste (RESA) : « Aire symétrique par rapport au prolongement de l'axe de la piste et adjacente à l'extrémité de la bande » censée « réduire les risques de dommages matériels au cas où un avion atterrirait trop court ou dépasserait l'extrémité de piste, et faciliter les déplacements des véhicules de sauvetage et d'incendie. » Les exigences actuelles de Transports Canada pour une RESA ne satisfont pas à la norme de l'OACI ni à la pratique recommandée.

    À la suite de l'enquête sur un événement mettant en cause un aéronef d'Air France (A05H0002), le BST a recommandé ce qui suit :Note de bas de page 27

    Le ministère des Transports exige que toutes les pistes de code 4 soient pourvues d'une aire de sécurité d'extrémité de piste (RESA) de 300 m ou d'un autre moyen d'immobilisation des aéronefs offrant un niveau de sécurité équivalent.
    A07-06

    Dans sa réponse à cette recommandation, TC a fait part de son intention de voir à l'harmonisation avec la norme actuelle de l'OACI exigeant une RESA de 90 m. Au moment de rédiger ce rapport, TC a proposé de modifier la réglementation; cependant, la lacune de sécurité va continuer d'exister à de nombreux aéroports canadiens.

    Une RESA de 90 m pour la piste 11/29 est prévue pour 2013. Les travaux de construction de la RESA de la piste 11, qui est située près du seuil de la piste 29 où l'aéronef en cause est sorti en bout de piste, ne nécessiteront qu'un nivellement minimal puisque les conditions du sol à cet endroit sont déjà propices aux exigences des RESA en matière de pentes et de convenance des conditions actuelles du sol.

    1.18.4 Pistes rainurées

    Selon un rapport préparé pour TC, les risques associés aux atterrissages pendant de fortes chutes de pluie sur des pistes non rainurées sont actuellement beaucoup plus élevés que les niveaux acceptables en aviation commercialeNote de bas de page 28. Le nombre élevé de sorties en bout de piste est causé par l'aquaplanage, lequel entraîne une perte de la maîtrise en direction et peut réduire le freinage à zéro.

    Strier ou rainurer des pistes nouvelles ou déjà en service est une méthode efficace et éprouvée qui permet d'améliorer le drainage, de minimiser les dérapages et les écarts, d'améliorer le freinage et de réduire les risques d'aquaplanageNote de bas de page 29.

    Actuellement, aucun règlement n'exige le rainurage des pistes aux aéroports canadiens. Au Canada, les pistes ont été rainurées pour régler des problèmes propres à un emplacement, notamment pour favoriser le drainage de pistes dont les pentes transversales sont faibles ou problématiques, qu'on ne pourrait pas corriger autrement de façon rentable.

    Le 11 novembre 2012, la circulaire d'information (CI) 300-008 de TC est entrée en vigueur. Cette circulaire a pour objet de fournir des renseignements et des conseils concernant le rainurage des revêtements de piste. En particulier, le document décrit les facteurs servant à déterminer si le rainurage des pistes est nécessaire, la technique et les spécifications de rainurage, l'entretien du rainurage et les opérations hivernales. Elle décrit un moyen acceptable, parmi d'autres, de démontrer la conformité à la réglementation et aux normes en vigueur.

    La circulaire désigne les facteurs suivants dont il faudrait tenir compte dans la détermination de la nécessité du rainurage des pistes.

    1. Examen historique des accidents/incidents d'aéronefs liés à l'hydroplanage à l'aéroport;
    2. Fréquence des conditions mouillées (examen des taux et de l'intensité des précipitations annuelles);
    3. Pentes transversales et longitudinales, zones plates, dépressions, monticules ou toute autre anomalie de la surface pouvant nuire à l'écoulement des eaux;
    4. Qualité de la texture de surface qui, si elle n'est pas suffisante, peut contribuer à la glissance dans des conditions sèches ou mouillées. Parmi les exemples de conditions pouvant conduire à une perte du frottement de surface disponible, on compte le polissage des granulats, une couche de scellement inappropriée ainsi qu'une microtexture ou une macrotexture inadéquate et l'accumulation de contaminants réduisant la texture de surface;
    5. Effets du vent de travers, en particulier lorsque des facteurs de frottement faibles prévalent à l'aéroport.

    En 2008, l'aéroport de St. John's a mené un projet majeur de rénovation de la piste 16/34 en 2008. Les résultats des essais de frottement annuels avaient tous indiqué que les valeurs de frottement de la piste étaient supérieures au niveau de planification d'entretien fixé par TC.

    1.18.5 Renseignements sur l'état de la surface des pistes

    En dehors de la période de comptes rendus de l'état de la surface pour le mouvement d'aéronefs (AMSCR) l'hiver, le personnel de l'aéroport de St. John's effectue chaque jour une inspection visuelle de l'aérodrome pour traiter des questions comme l'eau stagnante. Il ne procède pas à une inspection de la surface des pistes lorsqu'il commence à pleuvoir ou périodiquement lorsqu'il pleut, et rien ne l'y oblige.

    L'alinéa 2.5.1.1 de la publication TP 312F précise ce qui suit:

    Norme — Des renseignements sur l'état de l'aire de mouvement et le fonctionnement des installations connexes seront communiqués aux organes appropriés des services d'information aéronautique, et des renseignements analogues, importants du point de vue des opérations, seront communiqués aux organes des services de la circulation aérienne, afin de leur permettre de fournir les renseignements nécessaires aux aéronefs à l'arrivée et au départ. Ces renseignements seront tenus à jour et tout changement sera signalé sans délai.

    La publication TP 312F ne contient pas de directives particulières sur la façon d'évaluer l'état de la surface des pistes en ce qui concerne la quantité d'eau sur celles-ci. Un AMSCR a été effectué environ 30 minutes après l'atterrissage de l'aéronef en cause et toutes les pistes ont été déclarées nues et mouillées sur 100 % de leur surfaceNote de bas de page 30. On n'a pas signalé d'eau stagnanteNote de bas de page 31.

    La dernière inspection quotidienne avait été effectuée le jour précédent à 9 h 30.

    1.18.6 Coefficient canadien de frottement sur piste

    Selon l'AIM, lorsque la surface de la piste est simplement mouillée et exempte de tout autre contaminant, aucune lecture de coefficient de frottement sur piste ne sera faite et aucun Coefficient canadien de frottement sur piste (CRFI) ne sera fourni aux services de la circulation aérienne ou aux pilotes. Cela est attribuable au fait que les lectures de coefficient de frottement sur piste faites à l'aide d'un décéléromètre peuvent être erronées en présence de cette condition. Les valeurs de coefficient de frottement de piste en été et lorsqu'il pleut ne sont pas fourniesNote de bas de page 32

    1.18.7 Système de gestion de la sécurité

    En 2005, le Règlement de l'aviation canadien (RAC) a été modifié pour exiger que les titulaires de certains documents d'aviation canadiens, notamment d'un certificat d'exploitation aérienne délivré en vertu de l'article 705.07 du RAC, établissent et maintiennent un système de gestion de la sécurité (SGS) et qu'ils s'y conforment. Le SGS a été adopté à l'échelle internationale par l'Organisation de l'aviation civile internationale (OACI), dont le Canada est signataire.

    Un SGS vise à intégrer systématiquement l'identification des dangers et la gestion des risques dans tous les aspects des affaires d'une entreprise, dans l'ensemble de l' organisation, plutôt que d'avoir la gestion de la sécurité comme une activité distincte au sein de la structure de l'entreprise. Les entreprises exploitées en vertu de la partie 705 du RAC doivent avoir en place un SGS documenté qui comprendNote de bas de page 33

    • une politique en matière de sécurité sur laquelle repose le système;
    • un processus qui permet d'établir des buts en vue d'améliorer la sécurité aérienne et de déterminer dans quelle mesure ils ont été atteints;
    • un processus qui permet de déceler les dangers pour la sécurité aérienne et d'évaluer et de gérer les risques qui y sont associés;
    • un processus qui fait en sorte que le personnel soit formé et compétent pour exercer ses fonctions;
    • un processus qui permet de rendre compte à l'interne des dangers, des incidents et des accidents et de les analyser et qui permet de prendre des mesures correctives pour empêcher que ceux-ci ne se reproduisent;
    • un document contenant tous les processus du système de gestion de la sécurité et un processus qui fait en sorte que le personnel connaisse ses responsabilités à l'égard de ceux-ci;
    • un programme d'assurance de la qualité;
    • un processus qui permet d'effectuer des examens ou des vérifications périodiques du système de gestion de la sécurité et des examens ou des vérifications du système de gestion de la sécurité pour un motif valable;
    • toute exigence supplémentaire relative au système de gestion de la sécurité qui est prévue par le présent règlement.

    Le SGS inclut notamment:

    • un processus réactif qui signale, examine, analyse et corrige les dangers, les événements et les préoccupations liées à la sécurité qui sont signalés;
    • un processus proactif qui cherche à identifier les dangers potentiels et évaluer les risques associés avant que des événements indésirables se produisent.

    L'exploitant est aussi tenu d'effectuer une autoévaluation de son SGS au moyen d'examens et de vérifications périodiques et de son programme d'assurance qualité (AQ).

    Transports Canada effectue des évaluations du SGS des exploitants pour déterminer son efficacité. Celles-ci consistent en un examen de la documentation et un examen sur place de l'ensemble de l'organisation pour déterminer si le SGS est documenté, en place et efficace. En plus, Transports Canada effectue des inspections de validation de programme (IVP) comprenant un examen ciblé d'une ou de plusieurs composantes d'une organisation ou de son SGS.

    Transports Canada assure la surveillance de l'ensemble des processus du SGS d'un exploitant plutôt qu'une surveillance normative détaillée d'activités et d'actions individuelles comme c'était le cas auparavant. Les lignes directrices de Transports Canada à l'intention des inspecteurs qui effectuaient des évaluations de SGS et des IPVNote de bas de page 34 au moment de l'événement étaient comme suit:

    La mise en place de systèmes de gestion de la sécurité (SGS) au sein du milieu de l'aviation change radicalement la façon dont Transports Canada (TC) conçoit ses responsabilités en matière de surveillance… Les méthodes de surveillance classiques consistaient uniquement à déterminer la conformité réglementaire au moyen d'un système d'inspection directe qui visait les aéronefs, le personnel, les dossiers et autres systèmes d'une organisation. La nouvelle méthode faisant appel à des évaluations et à des IVP permettra de faire évoluer la surveillance effectuée par TC, au-delà d'une simple vérification de conformité en un système qui examine l'efficacité du système de gestion d'une organisation. Ces changements vont de pair avec les principes des systèmes de gestion de la sécurité selon lesquels l'organisation assume son rôle de propriétaire en gérant les risques de façon proactive et en ayant des programmes en place pour assurer son propre niveau de conformité réglementaire. Quant à TC, son rôle consiste à s'assurer que les organisations ont des politiques, des processus et des procédures efficaces pour y parvenir.

    Une fois la mise en œuvre du SGS d'un exploitant terminée, la surveillance exercée par TC passerait d'une vérification et d'une inspection traditionnelles à une vérification des processus. La surveillance des résultats du SGS mettrait davantage l'accent sur les résultats du programme d'AQ de l'exploitant.

    1.18.8 Système de gestion de la sécurité à KFACL et KFL

    Le Manuel des politiques et des procédures du SGR de l'exploitant décrit comment il se conformera aux exigences de TC en matière de système de gestion de la sécurité. Le manuel a été créé pour décrire les politiques et les procédures du SGR et il doit être utilisé conjointement par KFACL et KFL. Transports Canada a approuvé ce manuel le 13 décembre 2006.

    Le Manuel des politiques et des procédures du SGR est le document qui a préséance pour l'établissement des normes de l'entreprise en matière de gestion des évaluations des risques de l'ensemble des activités et des fonctions. Les décisions relatives à la sécurité de l'aviation doivent être prises au moyen d'un cadre de gestion des risques.

    Le SGR de l'exploitant est fondé sur l'identification des dangers au moyen de rapports réactifs et proactifs. Tous les employés sont tenus de participer au SGR et de signaler les dangers pour la sécurité. Les rapports réactifs sont fondés sur un événement qui s'est déjà produit et qui est décrit comme étant une irrégularité, un incident ou un accident. Les rapports proactifs permettent d'identifier un type de danger potentiel avant qu'un événement se produise. Le manuel du SGR ne donne pas d'exemples ou d'explications quant au type de dangers devant faire l'objet d'un rapport proactif ni ne définit les types d'événements ou de dangers qui sont à signaler. Cependant, il mentionne ce qui suit:

    L'évaluation des risques sera effectuée avant l'introduction de nouveaux projets ou processus spéciaux afin de déterminer et d'atténuer les dangers et les risques potentiels.

    Les employés savaient que l'entreprise avait un SGR et ils avaient reçu une formation sur celui-ci. Ils étaient également au courant de l'existence d'une exigence de signaler les dangers potentiels pour la sécurité et ils savaient où trouver les formulaires de signalisation appropriés. Des préposés à l'entretien et des membres d'équipage ont indiqué qu'il n'était pas habituel de signaler au SGR de la compagnie des problèmes comme le déclenchement de bouchons fusibles, des pratiques locales comme la vaporisation des freins des aéronefs ou les pneus usés.

    KFL a indiqué que même si l'équipage était préoccupé par  l'état des pneus à 2 reprises, parce que les pneus ont été jugés en bon état de service, on ne s'attendait pas à ce que l'équipage ait recours au SGR pour signaler l'état des pneus comme danger potentiel à la sécurité.

    1.18.9 Évaluation par Transports Canada du système de gestion du risque du groupe KFL

    Transports Canada a effectué une inspection de validation de programme du SGR du groupe KFL en juin 2011 afin de déterminer son efficacité et pour voir s'il était conforme au RAC. Les attentes de TC en matière d'efficacité d'un SGS sont que le processus de gestion des risques d'une organisation permet d'évaluer les risques associés aux dangers identifiés. Transports Canada a déterminé que le processus de gestion des risques de la compagnie ne faisait pas ce qui suit de façon constante et efficace:

    • déterminer les sources de dangers à partir d'événements signalés;
    • définir et documenter des scénarios de risques associés à tous les dangers avant d'évaluer la probabilité et la gravité des pires résultats crédibles.

    Le 2 septembre 2011, TC a reçu un plan de mesures correctives en réponse aux conclusions de l'inspection. Transports Canada a accepté le plan de mesures correctives en avril 2012.

    2.0 Analyse

    L'enquête a permis de déterminer que l'aéronef était en bon état de service pour le vol et qu'une incapacité du pilote, des facteurs physiologiques ou la fatigue n'avaient pas contribué à cet événement. L'enquête a porté principalement sur les facteurs associés à l'atterrissage sur une piste mouillée, aux procédures de maintenance liées aux pneus usés et aux freins chauds, ainsi qu'au SGS des exploitants (KFACL, KCL et administration de l'aéroport).

    2.1 Aquaplanage

    L'aéronef s'est posé à environ 1850 pieds du seuil et à une vitesse anémométrique plus élevée que nécessaire, ce qui a réduit la longueur de piste disponible pour immobiliser l'aéronef.

    Environ 8 secondes après le toucher des roues, l'équipage a serré les freins et s'est presque immédiatement rendu compte que l'aéronef dérapait. Le freinage a été maintenu tout au long de la course à l'atterrissage et jusqu'à ce que l'aéronef s'immobilise. On a trouvé des morceaux de caoutchouc dévulcanisé sur la piste près du point de toucher des roues et le long du côté gauche de la piste jusqu'à l'endroit où l'aéronef a quitté le revêtement. Cela indique que l'aéronef a fait de l'aquaplanage causé par la dévulcanisation du caoutchouc presque immédiatement après le serrage des freins et de façon périodique tout au long de la course à l'atterrissage.

    En cas de dérapage, la méthode de récupération habituelle est de desserrer complètement les freins momentanément afin de laisser les roues tourner et d'établir une référence de vitesse appropriée.

    Lorsqu'il y a aquaplanage qui réduit le contact et le frottement des roues, un vent de travers aggravera la tendance naturelle de l'aéronef à girouetter dans le vent. Une piste et une bande de roulement lisses favorisent l'aquaplanage avec une couche d'eau moins importante.

    Même si la profondeur exacte de la couche d'eau n'a pas pu être déterminée, la présence d'eau sur la piste a causé l'aquaplanage de l'aéronef, ce qui a mené à une perte de la maîtrise en direction et de la capacité de freinage et provoqué une augmentation substantielle de la distance d'arrêt nécessaire. Cet état était aggravé par le fait que les freins étaient restés serrés tout au long de la course à l'atterrissage et que l'usure de la bande de roulement des pneus était excessive.

    2.2 Usure des pneus

    Dans le présent cas, 3 des 4 pneus étaient usés à plus de 80 %, tandis que le quatrième était usé à 65 %. Sur une piste mouillée, lorsque l'usure d'un pneu est d'environ 80 %, les coefficients de freinage sur piste mouillée diminuent considérablement. L'utilisation de pneus dont l'usure est supérieure à 80 % a pour effet de réduire la traction sur piste mouillée et ainsi d'accroître le risque d'aquaplanage et la possibilité de sortie en bout de piste.

    2.3 Pistes mouillées

    Les caractéristiques tant de macro que de microrugosité de la surface d'un revêtement peuvent avoir une incidence considérable sur ses valeurs de frottement. Lorsque les enquêteurs du BST ont touché la surface de la piste 11/29, ils ont trouvé qu'elle était lisse, ce qui ne correspond pas à la texture granuleuse d'une bonne microrugosité. Une bonne microrugosité est la principale façon de combattre l'aquaplanage visqueux. La FAA et l'OACI recommandent qu'un examen complet de frottement sur piste comprenne des essais tant à 65 km/h (état de la macrorugosité) qu'à 95 km/h (état de la microrugosité). Même si la CI 300-008 précise que la qualité de la surface d'une piste, y compris l'état de la microrugosité, peut contribuer à la glissance de la piste dans des conditions mouillées ou sèches, TC n'exige pas que des essais de microrugosité soient effectués. La pratique consistant à ne pas tester la microrugosité de la surface des pistes augmente le risque d'aquaplanage sur piste mouillée en raison d'une évaluation incomplète des caractéristiques de frottement globales de la piste.

    2.4 Aire de sécurité d'extrémité de piste

    Les sorties en bout de piste figurent sur la Liste de surveillance du BST comme une des questions de sécurité les plus importantes demandant la prise de mesures supplémentaires. Pour le BST, la présence d'aires de sécurité au-delà de l'extrémité de la piste constitue une mesure clé contre les dommages et les blessures résultant de sorties en bout de piste. Transports Canada a indiqué son intention de satisfaire à la norme de l'OACI en vigueur, mais cela ne s'est toujours pas produit. L'absence d'aires de sécurité d'extrémité de piste (RESA) adéquates ou d'autres systèmes et structures perfectionnés conçus pour arrêter les aéronefs qui sortent en bout de piste augmente le risque de dommages aux aéronefs et de blessures aux passagers.

    2.5 Rainurage des pistes

    Les performances des aéronefs qui se posent sur des pistes mouillées constituent une source bien connue de préoccupation en matière de sécurité. Les pistes rainurées améliorent le drainage, ce qui minimise les dérapages et les écarts, améliore le freinage et réduit le risque d'aquaplanage. Des études ont montré que des pistes rainurées mouillées offrent souvent un niveau de freinage presque égal à celui des pistes sèches. L'utilisation de pistes non rainurées augmente le risque de sorties en bout de piste mouillée en raison d'une baisse des caractéristiques de freinage.

    2.6 Système antipatinage

    Lorsque les pompiers sont arrivés à l'aéronef, ils ont confirmé que les 4 freins étaient chauds. Pour que les 4 freins soient chauds, la pression de freinage doit avoir été exercée sur les 4 freins. Pour que cela se produise, le module de contrôle antidérapage devait être en bon état de service au moment du dépassement de piste.

    2.7 Renseignements sur l'état de la surface des pistes

    La pluie, la neige, la glace ou la neige fondante contaminent les pistes et ont une incidence sur la distance d'atterrissage. Pour que les équipages puissent déterminer avec précision si une piste se prête à l'atterrissage, ils doivent avoir une idée claire de l'état actuel de la piste; ils doivent notamment savoir si une contamination est possible. En matière de rapports d'état de la surface de la piste (RSC), les normes et pratiques recommandées actuelles se concentrent sur les conditions hivernales. Ces normes et pratiques recommandées sont ambiguës et elles manquent de directives claires quant aux inspections des pistes durant les périodes de forte pluie ou lorsqu'il se peut qu'il y ait de l'eau stagnante sur une piste. Même s'il est entendu que mesurer les effets de l'eau sur les pistes n'est pas chose facile, il n'en demeure pas moins que l'absence de normes clairement définies en matière de rapports RSC quant à l'eau sur les pistes augmente le risque d'aquaplanage.

    2.8 Système de gestion de la sécurité

    Un compte rendu détaillé des dangers pour la sécurité est essentiel au fonctionnement efficace d'un système de gestion de la sécurité (SGS). Cela comprend la signalisation de circonstances inhabituelles qui pourraient représenter un danger telles que les pratiques locales ou les adaptations de procédures documentées (p. ex. la vaporisation des roues) et les événements où des problèmes auraient pu être signalés par l'intermédiaire du SGR de l'entreprise, mais ne l'ont pas été (p. ex. le déclenchement de bouchons fusibles).

    Même si le SGR de l'entreprise était en place et qu'on avait donné de la formation, des préposés à l'entretien et des membres d'équipage ne savent pas encore exactement quelles sont leurs obligations en matière de signalisation des problèmes. KFL a indiqué que même si on prend note d'une préoccupation liée à la sécurité, telle que la préoccupation de l'équipage concernant l'état des pneus, à moins que la préoccupation ne soit pas visée par le champ d'application d'exigences publiées (comme le manuel d'entretien de l'aéronef) ou de lignes directrices, la préoccupation liée à la sécurité n'est pas signalée et abordée par l'intermédiaire du SGR. Le Manuel des politiques et des procédures du SGR ne fournit pas de lignes directrices explicites sur ce qui peut être considéré comme une situation ou une condition dangereuse, et aucune formation particulière en la matière n'a été donnée. Les employés présenteront davantage de rapports d'incident si on les forme à reconnaître des situations ou conditions dangereuses précises et des domaines que, selon eux, le SGS devrait examiner. Si tous les employés ne comprennent pas pleinement leurs obligations en matière de signalisation et qu'ils n'ont pas adopté une culture de rapports sur la sécurité dans leurs opérations quotidiennes, la gestion des risques par le SGS sera moins efficace.

    Même si KFL a mis en œuvre un certain nombre de pratiques et de procédures pour traiter des cas fréquents d'échauffement des freins et de déclenchement des bouchons fusibles, ces problèmes n'ont pas été abordés dans le cadre de son propre SGR. Cela s'est traduit par une occasion manquée d'identifier des risques potentiels pour la sécurité (perte de maîtrise en direction, aquaplanage, sorties en bout de piste) et de prendre des mesures d'atténuation appropriées. En outre, le SGR de l'entreprise n'a pas examiné spécifiquement les cas d'aquaplanage antérieurs à l'aéroport de St. John's pour déterminer les facteurs sous-jacents et prendre les mesures correctives adéquates.

    La vaporisation d'eau sur les freins a été introduite à certains endroits sans faire l'objet d'un examen en vertu du SGR de l'entreprise comme l'exige son Manuel des politiques et des procédures. Cette pratique est devenue la norme et était considérée comme normale, même si le constructeur de l'aéronef ne recommandait pas l'utilisation d'eau sur les freins sauf dans des circonstances précises. On aurait pu identifier cette adaptation non approuvée et les risques associés si cela avait fait l'objet d'un examen par le SGR de l'entreprise.

    Transports Canada a effectué une inspection de validation de programme en juin 2011. Transports Canada a déterminé que le processus de gestion des risques de la compagnie ne permettait pas d'effectuer ce qui suit de façon constante et efficace:

    • déterminer les sources de dangers à partir d'événements signalés;
    • définir et documenter des scénarios de risques associés à tous les dangers avant d'évaluer la probabilité et la gravité des pires résultats crédibles.

    Lorsque le SGS d'un exploitant n'est pas pleinement efficace, il y a un risque accru que les dangers ne soient pas perçus et atténués.

    Même s'il y avait eu un certain nombre de sorties de piste à St. John's, l'Administration de l'aéroport n'a effectué qu'une évaluation interne informelle des risques et a conclu qu'il n'était pas nécessaire d'examiner la question de plus près. Lorsque les organisations n'effectuent pas d'évaluation formelle des risques en conformité avec leur SGS, il y a un risque que les dangers ne soient pas perçus et atténués.

    3.0 Faits établis

    3.1 Faits établis quant aux causes et aux facteurs contributifs

    1. L'aéronef s'est posé à environ 1850 pieds du seuil et à une vitesse anémométrique plus élevée que nécessaire, ce qui a réduit la longueur de piste disponible pour immobiliser l'aéronef.
    2. L'usure excessive de la bande de roulement et la piste mouillée ont causé l'aquaplanage de l'aéronef, ce qui a entraîné une perte de maîtrise en direction et de la capacité de freinage, et s'est terminé par la sortie de l'aéronef en bout de piste.
    3. Les freins n'ont pas été desserrés lorsque l'aéronef a commencé à déraper, ce qui a réduit l'efficacité du système antipatinage.

    3.2 Faits établis quant aux risques

    1. L'utilisation de pneus dont l'usure est supérieure à 80 % a pour effet de réduire la traction sur piste mouillée et ainsi d'accroître le risque d'aquaplanage et la possibilité de sortie en bout de piste.
    2. La pratique consistant à ne pas tester la microrugosité de la surface des pistes augmente le risque d'aquaplanage sur piste mouillée en raison d'une évaluation incomplète des caractéristiques de frottement globales de la piste.
    3. L'absence de RESA adéquates ou d'autres systèmes et structures perfectionnés conçus pour arrêter les aéronefs qui sortent en bout de piste augmente le risque de dommages aux aéronefs et de blessures aux passagers.
    4. L'utilisation de pistes non rainurées augmente le risque de sorties en bout de piste mouillée en raison d'une baisse des caractéristiques de freinage.
    5. Si tous les employés ne comprennent pas pleinement leurs obligations en matière de signalisation et qu'ils n'ont pas adopté une culture de rapports sur la sécurité dans leurs opérations quotidiennes, la gestion des risques par le SGS sera moins efficace.
    6. Lorsque le SGS d'un exploitant n'est pas pleinement efficace, il y a un risque accru que les dangers ne soient pas identifiés et atténués.
    7. L'absence de normes clairement définies en matière de rapports d'état de la surface de la piste (RSC) quant à l'eau sur les pistes augmente le risque d'aquaplanage.
    8.  Si les enregistreurs de la parole dans le poste de pilotage et les enregistreurs des données de vol (CVR/FDR) ne sont pas vérifiés conformément à la réglementation, il y a un risque que les données enregistrées soient inutilisables et que des renseignements qui auraient pu être importants ne soient pas enregistrés.

    3.3 Autre fait établi

    1. L'ensemble de roues du train principal, numéro de pièce 10-61287-14, ne figure pas dans la liste des ensembles de roues de train d'atterrissage principal approuvés pour les aéronefs à une masse maximale au roulage jusqu'à 195 500 livres.

    4.0 Mesures de sécurité

    4.1 Mesures de sécurité prises par Kelowna Flightcraft Air Charters

    À la suite de l'événement, Kelowna Flightcraft Air Charters a mis à jour sa formation de gestion des ressources en équipe pour inclure les distances d'atterrissage, le freinage, les pistes mouillées et contaminées et les atterrissages par vent traversier.

    À la suite de l'événement, Kelowna Flightcraft a amélioré les procédures d'essai des enregistrements de FDR.

    4.2 Mesures de sécurité prises par l'Administration de l'aéroport international de St. John's

    À la suite de l'événement, l'Administration de l'aéroport international de St. John's a mis en œuvre un programme élargi d'essais de frottement sur piste. Ce programme comprend des essais de frottement plus exhaustifs, ce qui augmente le nombre d'essais longitudinaux à différentes distances décalées de l'axe de piste et effectuant des mesures de macrorugosité sur les pistes.

    Le présent rapport met un terme à l'enquête du Bureau de la sécurité des transports du Canada (BST) sur cet événement. Le Bureau a autorisé la publication du rapport le . Il est paru officiellement le .

    Annexes

    Annexe A - Liste des rapports de laboratoire du BST

    Les rapports du Laboratoire du BST suivants ont été finalisés :

    • LP078/2011– FDR/CVR Analysis (Analyse des données du FDR/CVR)
    • LP079/2011– CVR Download/ Transcription (Téléchargement et transcription des données du CVR)
    • LP081/2011– Examination of Tires and Brakes (Analyse des pneus et des freins)

    Ces rapports peuvent être fournis sur demande par le Bureau de la sécurité des transports du Canada.

    Annexe B – Performance à l'atterrissage

    Note : Ce document n'est pas disponible en français.

    Image
    Performance à l'atterrissage

    (Source : Aircraft Performance Group, Inc.)

    Annexe C – Carte d'aérodrome

    Note : Ce document n'est pas disponible en français.

    Image
    Carte d'aérodrome

    NE DOIT PAS ÊTRE UTILISÉ POUR LA NAVIGATION
    (Source : Nav Canada Air Pilot – Instrument procedures)

    Annexe D – Performance

    Note : Ce document n'est pas disponible en français.

    Image
    Performance

    (Source : Kelowna Flightcraft - Aircraft Performance Manual)